| S.No. | Map Number | Colony Name | Applicant/Developer's Name | Date of Approval | Location | Khasra No. | Area | Mortgage Plot | Approved Plots | Zone | Plan | Completion Certificate |
|---|---|---|---|---|---|---|---|---|---|---|---|---|
|
1
|
20/10
|
Acme Build Tech(Engg. pra. ltd.)
|
Sri Pradeep Kumar
|
3/24/2011/
|
Lisadi
|
402, 403, 404, 405, 406, 407, 408, 409, 441, 442, 443, 444, 446, 500, 503, 507, 508, 509, 510, 514, 515
|
41803.28
|
|
644
|
A
|
View Layout Plan | View Completion Certificate |
|
2
|
08/14
|
BAJAUT
|
MUKESH MOHAN
|
01/03/2015
|
BAJAUT
|
403
|
19756.73
|
17, 41-45, 71-78(EXT), 18-32, 34-38, 59-70, 109-112(INT)
|
NO
|
A
|
View Layout Plan | |
|
3
|
02/09
|
Bhagawti Kunj
|
Sri Suresh Chand
|
11/27/2009
|
Nagla Sherkhan
|
348
|
4590.00
|
|
62
|
A
|
View Layout Plan | |
|
4
|
06/13
|
BUDHERA JAHIDPUR (JAINA COLONISOR)
|
DEEPAK JAIN
|
07/27/2013
|
BUDHERA JAHIDPUR
|
145
|
18080.00
|
38-42, 70, 17, 18(EXT), 31-37, 68, 69(INT)
|
38, 70, 31-37
|
A
|
View Layout Plan | View Completion Certificate |
|
5
|
09/12
|
Dream City Extension
|
M/s Gayatri Builders Associate Pvt.Ltd, by Shri Pankaj Choudhary Village,Bharala Meerut
|
|
Sardhana Road
|
711, 743p 744,from 751, 756, 757, 762, 763, 764
|
|
E-388 and E-393 from 399,E-352 from 359, E-312, E-313, E-13, E-304 from 310, E-137 from 298, E-186, E-187, E-188, E-189
|
|
A
|
View Layout Plan | |
|
6
|
MeDA/24-25/P/6287-4
|
Dubai Homes
|
M/s Siddhi Vinayak Developers Partners Mr Amit Garg and Mr Chandbir Singh
|
02/01/2025
|
Alipur Jizmana Meerut Khasra No 1,15,16 and village Shakarpur Khasra No 166
|
Alipur Jizmana Meerut Khasra No 1,15,16 and village Shakarpur Khasra No 166
|
36604 sqmtr
|
EDC Plot No A-8,F-5,F-9,F-13,F-16,F-20,F-22 AND H-01 AND IDC-CS, SS, H-18,G-18,E-9 AND B-6
|
123 PLOTS, CONVINIENT SHOP AND SECTOR SHOPPING
|
A
|
View Layout Plan | |
|
7
|
11/03
|
Dwarikapuri
|
Sri Jay Prakash Agarwal
|
9/28/2004
|
Meerut
|
Pilot no.2133, 2134, 2135, 2139, 2136, 2137, 2140, 2141 ,2142
|
31477.0
|
|
112
|
A
|
||
|
8
|
40/05
|
Dwarikapuri Ext.
|
Sri Jai Prakash Agarwal
|
2/7/2006
|
Meerut
|
2136, 2137, 2138, 2139,2140, 2142/2, 2143,2145, 2146/2, 2147, 2148, 2149
|
25780.00
|
|
93
|
A
|
View Layout Plan | |
|
9
|
38/13
|
FATHEULAPUR(JAMIA RESIDENCY)
|
PRAMOOD KUMAR S/O RAMESH
|
07/09/2014
|
FATEHULLAPUR
|
189
|
20472
|
A97-99, 13, 14, A77-A81, A10(EXT), A86-91, A15, 17-28, 3, 117, 118(INT)
|
NO
|
A
|
View Layout Plan | |
|
10
|
12/07
|
Gardenia Estate
|
Era Infrastructure Engg. Limited
|
1/29/2007
|
Meerut
|
2144m, 2145m, 2146m, 2147m, 2148m, 2150m,2151,2153, 2154, 2157, 2144/1m 2145/1m,2146/3m, 2147/1m, 2148/2m, 2150/2m, 2152, 2156/1m, 2158, 2155m ,2156m ,335, 336, 337, A.B. and Villege Noor Nagar Meerut 317, 318, 319, 320, 322, 323, 324, 325,326, 329,330,
|
213770
|
|
602
|
A
|
View Layout Plan | |
|
11
|
10/09
|
Gardenia Estate Ext.
|
Era Land Mark Engg. ltd.
|
9/7/2009
|
Noor Nagar
|
317, 318, 319, 324, 325
|
12793.00
|
|
29
|
A
|
View Layout Plan | |
|
12
|
40/14
|
GRAM PANCHALI(MANSAROVAR INFRA WILD PVT LTD)
|
PRADEEP GUPTA
|
09/09/2015
|
PAANCHLI
|
623P, 618, 621, 622, 623, 622/1420P, 620P
|
35532.14
|
219-224(INT)
|
NO
|
A
|
View Layout Plan | |
|
13
|
14/07
|
Green Village
|
M/s Supertech Ltd
|
11/29/2008
|
Noor Nagar Nangla Sher khan
|
229, 231, 234, 235,238 239, 240, 241, 242, 243, 244, 249, 251, 253, 254, 256, 258, 259, 260, 355, 356, 357, 359, 361, 362
|
90742.50
|
|
1108 unit
|
A
|
||
|
14
|
513/13
|
GROUP HOUSING DELHI ROAD
|
KAPIL MAHESHWAI,JAGDISH SINGH
|
06/26/2013
|
MEERUT
|
1962
|
2014.39
|
NO
|
NO
|
A
|
View Layout Plan | |
|
15
|
20/10
|
HAPUR DELHI BYPASS
|
AKME BUILD TECH INDIA PVT.LTD
|
03/24/2011
|
LISADI
|
402-409, 441-444, 446, 500, 503, 507-510, 514, 515
|
41803.28
|
NO
|
NO
|
A
|
View Layout Plan | |
|
16
|
22/11
|
LISARI DELHI HAPUR MEERUT
|
M/S ACME BUILD TECH INDIA PVT.LTD
|
10/20/2014
|
LISARI
|
400, 401, 445, 447-451
|
39,945.00
|
161-187, 189, 36, 43, 50(EXT), 11/1,11, 76-79, 200, 81-91, 136, 137C, 8-10(INT)
|
NO
|
A
|
View Layout Plan | |
|
17
|
17/13
|
MEERUT KHAAS
|
MOHD AFJAL S/O USMAN
|
09/06/2014
|
MEERUT
|
2566-2568, 2572, 2573, 2578-2582
|
27830.00
|
34-43, 45-48, 58, 59, 66-73(EXT), 61-64, 75-89, 14-16, 50-55, 130-135(INT)
|
NO
|
A
|
View Layout Plan | |
|
18
|
281/14
|
MILLAT HOME
|
ABBASI RAO DEVELOPERS PVT. LTD.
|
02/06/2023
|
BIJLI BAMBA BY PASS ROAD MEERUT
|
386,387/1,387/2 VILL BAJOT, MEERUT
|
18187.66
|
20,21,22,23,24,25,26,27 COMMUNITY COMMERCIAL AND GROUP HOUSING TOWER C GROUD TO 4TH FLOOR (10 FLATS)
|
VILLA 16 NOS, GROUP HOUSING FLATS / PANT HOUSE 43 UNITS, PLOT 33 NOS, COMMUNITY, COMMERCIAL PLOTS
|
A
|
View Layout Plan | |
|
19
|
11/12
|
NOOR NAGAR
|
INFIUX REAITORS PVT .LTD
|
01/21/2015
|
NOOR NAGAR
|
336P
|
7043.00
|
R-1, 10(EXT), C156(INT)
|
NO
|
A
|
View Layout Plan | |
|
20
|
1038/11
|
NOOR NAGAR
|
SONIA MOTOR FINANCE PVT LTD
|
06/16/2012
|
NOOR NAGAR
|
49
|
126700.00
|
no
|
no
|
A
|
View Layout Plan | |
|
21
|
MeDA/24-25/P/1232
|
Park Residency
|
M/s Royal Associtates By partner Mr Ankur Sharma S/o Sh Lal Mani Sharma, Mr Abdus Saboor Gilani, Sh Gyas Ahmad Gilani, Mr Sumit Garg etc
|
12/10/2024
|
Vill- Bajot, Bijli Bamba Bypass Meerut
|
399M
|
6495 Sqmtr
|
Enternal Development Plot No 4, 5, 7, 12, 13 total plots 5 total area 487.76 sqmtr
|
1 to 21 and convinient shopping & sector shopping
|
A
|
View Layout Plan | |
|
22
|
20/14
|
SARASWATI KUNJ
|
MADHU GUPTA W/O AMIT KUMAR
|
08/22/2014
|
MEERUT
|
2117P
|
2600.62
|
10(EXT), 9(INT)
|
NO
|
A
|
View Layout Plan | |
|
23
|
1/04
|
Saraswati Lok
|
manika Agarwal
|
5/8/2005
|
Meerut
|
Pilot no.2119, 2120, 2121, 2122/1, 2122/2, 2123, 2124, 2125, 2126, 2127, 2128, 2129, 2130, 2131, 2132, ,2141 part,218
|
55394.33
|
A-04,A-105, 106 ,107, 108, 119, 120 C-71
|
206
|
A
|
View Layout Plan | |
|
24
|
22/13
|
SARASWATI VATIKA
|
SARASWATI INFRASTRUCTURE
|
01/20/2014
|
NOOR NAGAR
|
293A, 293B, 2113
|
22323.48
|
G27, 72-74, 91-96, 30-34, 64(EXT), G24-26, 28, 37-39, 65-71, 75-80, 85-87(INT)
|
NO
|
A
|
View Layout Plan | View Completion Certificate |
|
25
|
03/14
|
Shatabdi Nagar
|
ANSAL HOUSING
|
03/04/2015
|
MOHHAMADPUR GUMI
|
12-18, 19P
|
86374.95
|
26-34,36-42,128-134,80-91,104-113,253-256,174-182,248-252,161-172,44,45(EXT)209-213,200,201,115, 135,102, 103, 258-280, 236-247(INT)
|
NO
|
A
|
View Layout Plan | |
|
26
|
09/04
|
Shyam Enclave
|
Sri Ankur agarwal
|
9/28/2004
|
Hafijabad Mewla
|
204(part), 207(part)
|
5729.79
|
13/1, 13/2, 20, 21
|
24
|
A
|
View Layout Plan | |
|
27
|
08/07
|
Shyam Enclave Ext.
|
Sri Nipul Goyal and Sri Nakul Goyal
|
1/25/2008
|
Hafijabad Mewla
|
204
|
1090.00
|
|
10
|
A
|
View Layout Plan | |
|
28
|
08/03
|
Shyam Vatika
|
Sri Raj Singh P.O.A Shyamji Asted And Devvelopers by Sri Ankur Agarwal
|
11/1/2003
|
Noor Nagar
|
Pilot no.229, 230, 231
|
17450.58
|
1, 7
|
54
|
A
|
View Layout Plan | |
|
29
|
06/10
|
Shyam Vihar
|
Sri Yogesh Kumar Goyal
|
7/20/2010
|
Rithani
|
366, 350/4, 368
|
5690.00
|
|
27
|
A
|
View Layout Plan | |
|
30
|
187/99
|
Surya Palace
|
RAM KISHAN SHARMA
|
06/16/2001
|
NOOR NAGAR
|
25-30, 33, 37, 43, 44, 49, 51, 52, 63
|
104470.26
|
|
|
A
|
View Layout Plan | |
|
31
|
08/99
|
Tej pal Singh Enclave
|
Sri Mahesh Kumar and Dinesh Kumar
|
7/12/2000
|
Town Meerut
|
2068 part,2069 part, 2070part, 2071, 2072, 2073, 2074
|
16957.38
|
9, 10
|
44
|
A
|
View Layout Plan | |
|
32
|
24/06
|
Tej pal Singh Enclave Ext.
|
Sri Mahesh Kumar Tyagi
|
2/28/2008
|
Meerut
|
2062, 2063, 2064, 2068, 2069,2070, 2071, 2075
|
4589.00
|
|
21
|
A
|
View Layout Plan | |
|
33
|
39/11
|
UNIQUE INFRA
|
ARVIND KUMAR SINGH
|
01/30/2013
|
NOOR NAGAR
|
106
|
9125.07
|
NO
|
NO
|
A
|
View Layout Plan | |
|
34
|
24/13
|
VILL BAJAUT HAPUR ROAD /BYPASS
|
VIJAY PAL SINGH &NARESH CHAND
|
01/21/2015
|
BAJAUT
|
401
|
14474.37
|
18, 34-41, 41B, 42(EXT), 43-46, 48, 49, 51-55, 58-62, 66, 67, 74, 75, 30(INT)
|
NO
|
A
|
View Layout Plan | |
|
35
|
aa
|
aa
|
aa
|
09/13/2025
|
aa
|
aa
|
aa
|
aa
|
aa
|
aa
|
View Layout Plan | |
|
36
|
21/07
|
A to Z Green State Colony
|
Shri Pankaj Rana Partner M/s Ato Z Builders and Devlopers K-6,Pallavpuram/2 Meerut
|
3/31/2008
|
Gram Sivaya Roorki Road
|
1434, 1435, 1436, 1437, 1465 , 1473, 1486, 1490, 1499 ,1500
|
81075.00
|
32, 50, 64, 168, 169
|
269
|
B
|
View Completion Certificate | |
|
37
|
09/2002
|
Aanand Lok
|
Sri Ajit Singh, P.O.A. Sri Anurag Gupta, 56 panchshil Colony Meerut
|
10/26/2004
|
Roshanpur Daurli Roorki Road
|
869/2, 870/1, 871/2, 872/2, 873/2, 873/3, 875, 877, 878, 879
|
6330.00
|
|
31
|
B
|
||
|
38
|
26/12
|
Akshay Puram Jatoli Meerut
|
Akshay Puram Cooperative Housing Society Secretary Shri Ramphal Shastri
|
|
Jatoli Dhorli Rurki Road
|
41, 42, 45, 46, 48 ls 60, 1706p, 1717, 1720p, 1721 ls 1729 rd
|
43826
|
59, 60, 61, 79, 80, 81, 82, 87, 88
|
113
|
B
|
||
|
39
|
26/11
|
Ambiance
|
Shri Kalu Singh and Shri Bhoti and Shri Rajkumar Singh,Village Dulhera Chauhan,Modipuram Meerut
|
1/10/2012
|
Mukarrabpur Palhera Roorki Road
|
538
|
13690.00
|
57, from 78, 11, 26, 35,and Commercial Pilot
|
85
|
B
|
View Layout Plan | |
|
40
|
23/07
|
Anand Niketan
|
M/s T.R Devlopers Pvt.Ltd by Shri Sanjay Garg,2 E/13 Nehrunagar Ghaziabad
|
3/5/2008
|
Pilana Sofipur Dhorli Roorki Road
|
8, 20, 26, 22/1, 22/2, 34, 50, 21, 29, 30, 23, 22/3, 24, 25, 18/1, 18/2, 1288, 1289/1, 1298, 1315/1, 1316/1, 1317, 1318, 1319] 1320] 1321
|
77178.00
|
|
259
|
B
|
View Layout Plan | |
|
41
|
01/17
|
Ansal Housing
|
M/s Ansal Housing & Cons. Ltd., Sh. rajender Sharma
|
07/01/2017
|
Roshanpur Dorlly
|
40,41/1,42/1,43,44
|
4000.00
|
No
|
03
|
B
|
||
|
42
|
10/07
|
Ansal Housing Gram Jatoli ,Meerut.
|
Ansal Housing Constraction Pvt.Ltd.15 U.G.F Inder Prakash,21 Barhekhamba Road New Delhi.
|
2/6/2008
|
Roshanpur Dhorli Jatoli Roorki Road
|
24, 26, 27, 33, 35, 37, 39, 44, 46, 47, 1705, 1707, 1709, 1710, 1712, 1713,1714, 1650, 1652, 1659, 1661 ls 1663 rd, 1665, 1666, 1690, 1691, 1692, 1660, 1610 ls 1613 rd, 1616, 1617, 1648, 1649, 1651, 1614, 1615, 1646, 1647, 1622, 1578, 1579, 1581, 1580, 15
|
80850.00
|
|
157
|
B
|
View Layout Plan | View Completion Certificate |
|
43
|
25/08
|
Apex (Second) Nanglatashi, Kasampur Meerut
|
Apex Riylkan Pvt.Ltd by Shri Abhishek Chand Jain,A-229 Diffence Colony Meerut
|
11/6/2009
|
Nanglatashi Khirva Road
|
150, 153, 154m, 154, 159a, 159b, 160
|
43892.00
|
C-13, C-22, C-23,C-82,C-83, C-26, C-27, C-44, C-58,C-15
|
175
|
B
|
View Completion Certificate | |
|
44
|
18/08
|
Apex Gram Jatoli Road Meerut
|
Apex Promart Pvt.Ltd by Shri Abhishek Chand Jain A-229 Difence Colony Meerut
|
1/17/2009
|
Jatoli Bypass Rurki Road
|
284, 285, 286, 288, 289, 290, 291
|
32490.00
|
|
41 and 01 Commercial Pilot
|
B
|
||
|
45
|
03/2002
|
Appu Enclave
|
Sri Jagpal Singh P.O.A. ,Sri Prakash Narayan Agarwal
|
11/19/2003
|
Mukararabpur Palheda
|
120, 122 , 124p
|
26310.00
|
|
77
|
B
|
||
|
46
|
29/06
|
Appu Enclave Extension
|
Shrinath Devlopers and Promotors by Shri Shyam Sunder Yadav,2nd floor,14 Varandavan Garden Meerut.
|
9/26/2007
|
Mukarrabpur Palhera Roorki Road
|
112/1, 118
|
18480.00
|
05, 08, 08/1,09, 09/1, 10, 41, 48, 49, 50, 79, 80, 81, 82, 85, 87, 88,89, 90, 91, 92, 93, 95,
|
95
|
B
|
||
|
47
|
28/08
|
Appu Green Park Roorki Road Meerut
|
Shri Shyam Ji Housing Dovloupers Pvt.Ltd by Menejing Dayrekatar Shri Shyam Sunder Yadav 2nd 14 Varandavan Gaurden Meerut
|
9/6/2011
|
Sivaya Jamalpur Roorki Road
|
230/1, 230/1, 230/2,261, 263, 264, 265, 266,267, 268, 256, 269, 270, 271, 272, 273, 277, 278, 278, 279, 280, 281,282,283, 255KH/3,255/2 and 257
|
66060.00
|
c-16 to c-36, c-5 toc-16,NursarySchool c-20toc-23,a,b,c,d,e,o,h,j,k Group Housing 169, 170, 171, 176, 22/4, 22/5, 22/6, 22/7, Vyhvsayik Bhuknd-1
|
294
|
B
|
View Layout Plan | |
|
48
|
02/07
|
Axar Dham
|
Shri Inder Garg and Rakesh Verma etc Shivaji Road Meerut.
|
2/10/2007
|
Mukarrabpur Palhera Roorki Road
|
102P, 103, 108, 109/1, 112/2, 126
|
38595.00
|
|
148
|
B
|
View Layout Plan | |
|
49
|
18/2001
|
Balwant Enclave
|
Sri Swatantrapal, 57 Royal park mall Road Meerut
|
2/17/2003
|
Roshanpur Daurli Roorki Road
|
889m, 891, 892/1, 893/1, 894, 895, 898, 909/1, 910/1, 910/2, 912, 896, 897
|
1354.82
|
|
61 and 01 Commercial plot
|
B
|
||
|
50
|
05/2000
|
Brindawan Garden
|
Sri Jai Prakash ,Roshanpur Daurli
|
7/31/2000
|
Roshanpur Daurli Roorki Road
|
598/1, 598/2, 600/1, 600/2, 600/3
|
9600.00
|
|
30
|
B
|
View Layout Plan | |
|
51
|
MeDA/24-25/P/6125-4
|
DARSANA KUNJ
|
M/s Darshana Infrastructure Pvt. Ltd. Partner Mr. Akhilesh Goyal Resident- H.No. 765 North Sardhana Road, New Sainik Colony, Kankar Kheda Meerut.
|
10/2/2025
|
Village Baharala Meerut & Daurala near toll plaza NH-58, Meerut
|
Village Baharala Khasra No. 294, 295a, 295m, 296a, 296m, 297m, 297m, 298, 299b, 299m, 300m, 300m, 301m, 301m, 301m, 302, 303, 304, 305, 307a part, 307m part, 307m, 309, 310part, 311part, 312part, 316part, 317part, 318, 319, 320, 321, 322, 323, 324, 325, 326part, 327part, 328a, 328b, 329part, 330, 331, 332, 333, 334 and village Daurala near toll plaza NH-58, Khasra number 1996part, 1997 and 1998part,
|
Total area 87690.54 sq.m.
|
IDC Plot- A-21, 34, 35, 36, 37, 38, 39, 40, 41, 42, 43, 44, 45, 46, 47, B-12A, B-14, 15, 26, 27, 28, 29, C-1, 2, 3, 4, 5, 10, 11, 12, C-12A, C-14, 15, 16, 17, 18, 19, 20, 21, 22, 23 Total 41 Plots area 5452.89 sq.m. And EDC Plot Group housing plot area 7269.23 sq.m.
|
Residential PLOT 221 + CON. SHOP- S-1 TO S-7 + KIOSK + SECTOR SHOPING-1 (Total = 230)
|
B
|
View Layout Plan | |
|
52
|
22/12
|
Defense Residency
|
M/s Shivdulari Developers Pvt. Ltd.
|
02/20/2014
|
Naglatashi Kasampur
|
846,852/1,852/2, 864, 866,867
|
27931.00
|
73 to 77, 80,59,60,45,61,62,72,87
|
124
|
B
|
||
|
53
|
20/07
|
Dev Dham Roorki Road Meerut
|
Shra Yogender Rana,81 Shri Ram Palace Delhi Road Meerut
|
4/6/2009
|
Mukarrabpur Palhera Roorki Road
|
128
|
13970.00
|
|
64
|
B
|
View Layout Plan | |
|
54
|
07/09
|
Dream City Sardhana Road Meerut
|
Gayatri Project(Dream City)by Shri Pankaj Choudhary
|
6/22/2010
|
Village Jevry Bypass Roorki Road
|
672p, 673 , 677, 678p, 679p, 885p, 686p, 687 ls 693 rd
|
46807.00
|
55, 88, 97, 56,72, 84, 85, 86, 101, 102, 103, 104, 105, 108 ls 122 rd, 94 ls 102 rd,04, 105, 106, 107, 113, 54, 73, 76, 77, 39, 17, 08, 27, 35, 40, 39, 38, 01, 02, 93, 78, 25, 01
|
225
|
B
|
View Layout Plan | |
|
55
|
13/10
|
Dream City Sardhana Road Meerut
|
M/s Gayatri Builders Associate Pvt.Ltd, by Shri Pankaj Choudhary Dist,Bharala Meerut
|
9/21/2010
|
dist Javry Sardhana Meerut
|
696A, 697, 699, 701P, 705P, 706P, 707,708, 711,722
|
39270.00
|
07,to 19, 30, 31, 32, 33, 34, 42,to 51, 175 to 181, 170, 171, 172, 16/1, 41/1, 42,72/1, 71/1, 65, 54,94, 112, 115
|
220
|
B
|
View Layout Plan | |
|
56
|
10/12
|
Dwarika Dham
|
M/s Shiv Enterprises
|
07/19/2013
|
Siwaya
|
520,521,530,531,537 to 557
|
22910
|
54 to 60, 60A, 53, 98,99,101,101A,102 to 106
|
126
|
B
|
||
|
57
|
33/13 & 10/12
|
Dwarika Dham
|
M/s Shiva Enterprises
|
01/31/2014
|
Siwaya
|
520, 521, 542 to 546, 548 to 557
|
27734.00
|
53,96,97
|
146
|
B
|
||
|
58
|
02/14
|
European Estate
|
M/s Apex Realcon Pvt. Ltd.
|
09/24/2014
|
Naglatashi Kasampur
|
284 to 286, 288, 290, 291
|
32490.00
|
No
|
621 Flats
|
B
|
||
|
59
|
32/12
|
European Estate
|
M/s Apex Realcon Pvt. Ltd. Sh. Abhishek Chandan Jain
|
03/11/2013
|
Naglatashi Kasampur
|
136P, 137P, 143
|
32256.00
|
D-16
|
159
|
B
|
||
|
60
|
32/12
|
European Estate
|
M/s Apex Realcon Pvt. Ltd. Sh. Abhishek Chandan Jain
|
03/11/2013
|
Naglatashi Kasampur
|
136P, 137P, 143
|
32256.00
|
D-16
|
159
|
B
|
||
|
61
|
27/13
|
European Estate Ext.
|
M/s Apex Realcon Pvt. Ltd. Director Sh. Abhishek Chandan Jain
|
04/07/2014
|
Naglatashi Kasampur
|
141,142,143,136,137
|
40636.00
|
D-237, D-210, D-237, D-210
|
201
|
B
|
||
|
62
|
25/8
|
European State
|
M/s Apex Promotors Pvt Ltd C/o Abhishek Jain
|
11/06/2009
|
Nangla Tashi
|
150, 153, 154M, 154, 159A, 159B, 160
|
43892
|
.
|
.
|
B
|
View Completion Certificate | |
|
63
|
MDA/LD/20-21/0397
|
EUROPIAN GARDEN
|
M/S VRINDA ASSOCIATE THROUGH PARTNER RAHUL GUPTA
|
06/25/2021
|
VILLAGE NANGLA TASHI KASAMPUR KHIRWA ROAD, MEERUT
|
158A,158B,159 PART
|
23493.92 SQMTR
|
20,37,38,76
|
93
|
B
|
View Layout Plan | |
|
64
|
06/11
|
Exerdham Ext.Roorki Road Meerut
|
M/s Deva Associate by Shri Vikas Jain,100D Saket Meerut
|
4/23/2011
|
Dulhera Chauhan Roorki Road
|
1163, 1164, 1165, 1166, 1167, 1168
|
12850.00
|
B-38 from B-42, B-17, B-55,
|
59
|
B
|
View Layout Plan | |
|
65
|
28/13
|
Flora Garden
|
M/s R.M.R.M. Infrastate Pvt. Ltd. Director Sh. Muskeem Saifi & Harikishan
|
02/15/2014
|
Mubarakpur Palheda
|
293/1, 295
|
2897.33
|
No
|
15
|
B
|
||
|
66
|
177/96
|
Gangotri
|
Secretary currency Cooperative Housing Committee Roorki Road Meerut
|
3/18/1996
|
Meerrut Lalsana Route Roorki Road
|
116, 115m, 129, 112, 558, 557, 556,
|
62740.00
|
|
169
|
B
|
||
|
67
|
177/89
|
Gangotri Colony
|
Mundra Sehkari Awas Samiti
|
03/18/1996
|
Roshanpur Dorlly
|
558/2,556,557,567,577 to 579, 580/1, 581,582/1,583/1,584/1
|
62740.00
|
No
|
169
|
B
|
||
|
68
|
MeDA/24-25/E/0968-2
|
Garden City Home
|
M/s RS Developers by Mr Suraj Yadav and Mr Rajeev Agarwal etc Res a-31, Defence Colony, Mawan Road, Meerut
|
10/02/2024
|
Vill-Murlipur Gulab Pargana Tehsil & District Meerut
|
126 part, 335 part, 336,337 part, 341 part, 342, 343, 344, 345, 347 part, 348 part and village shobhapur khasra number 46 part.
|
33855.16 sqmtr
|
B-87, B-88, B-92 to B-96, B-109, B-110,B-115 to B-122
|
127
|
B
|
View Layout Plan | |
|
69
|
24/10
|
Gayatri Green
|
M/s Gayatri Builders Associate Pvt.Ltd, by Shri Pankaj Choudhary Dist,Bharala Meerut
|
4/7/2011
|
Jatoli Bypass Rurki Road
|
609, 610, 611, 612p, 613p, 616p, 649p, 669p, 671p, 672,673, 677, 678, 679, 681, 682p, 683p, 684, 685, 688, 687, 688, 689, 690 ls 696 rd]
|
20310.00
|
05, 06, 15, 21, 32, 33, 27, 28, 29, 37, 38, 39, 47, 46, 57, 61, 62, 23, 24, 25, 26
|
83
|
B
|
View Layout Plan | |
|
70
|
35/12
|
Gold Cost
|
Sh. Hariom Agarwal
|
10/24/2013
|
Shobhapur
|
664,684,929P,932P,933,937,938P,987P,693P,694P,209P
|
37443.00
|
23 to 34, 33 to 48, 3 to 21, 22,35,36,39,51 to 57
|
129
|
B
|
||
|
71
|
16/2003
|
Golden Avainu
|
Shri Dharam Dev, Jagdev and P.O.A Shri Jitender Vaajva
|
6/17/2004
|
Roshanpur Dhorli Roorki Road
|
63, 66 from 78 to, 149, 158 from 164,166 , 167
|
22328.00
|
|
103
|
B
|
View Layout Plan | |
|
72
|
07/05
|
Greater Pallavpuram
|
Shri Yogender Rana and Vinod Kumar,81 Shri Ram Palace Delhi Road Meerut.
|
8/24/2007
|
Mukarrabpur Palhera Roorki Road
|
125 and 129
|
36620.00
|
No
|
163
|
B
|
||
|
73
|
13/2003
|
Green City
|
Sri Kishan Lal
|
7/7/2004
|
Pilana Sofipur Roorki Road
|
33, 34, 392, 36, 37, 38, 39, 40, 41, 42, 43, 44, 45, 46, 47p, 48
|
23678.93
|
|
111
|
B
|
View Layout Plan | |
|
74
|
30/10
|
Green Hights Roorki Road Meerut
|
A toZ Builders and Devlopers by Shri Jitender Singh C-6 Pallavpuram Meerut
|
2/7/2011
|
Sivaye Jamalpur Dorala Roorki Road
|
1375, 1376, 1434, 1436, 1441, 1441, 1442,1445, 1445, 1446, 1450/3, 1451/1, 1452, 1455 ,1464, 668/2, 690, 692 ls 695 rd,696/1, 696/2, 697, 698, 699, 735, 736, 737, 738, 359 ls 1366 rd, 1451/2, 684 ls 689 rd
|
98748.75
|
76, 77, 78, 81, 80, 82, 83, 84, 118, 119, 01, 05, 06, 10, 11, 13, 25, 26, 27, 37, 44 ls 48 rd, 52, 55 ls 59 rd, 67, 68, 72, 73, 85, 86, 152, 193
|
382
|
B
|
||
|
75
|
18/09
|
Green Hights Sivaya and Dukhera Meerut
|
A toZ Builders and Devlopers K-6 Pallavpuram-2 Meerut
|
1/29/2010
|
Sivaye Jamalpur Dorala Roorki Road
|
1375, 1376, 1434, 1436 ls 1440 rd, 1441/1, 1441,1442, 1444, 1445/1, 1446, 1450, 1451, 1452, 1455, 1456, 1457, 1458, 1459, 1460, 1461 ls 1464 rd, 668/2, 690, 692, 693, 694, 695, 696/1, 696/2, 697, 698, 699, 700, 735, 736, 737, 738, 740, 741, 742, 743, 745,
|
8222.14
|
Group Housing Commercial and School Bhukhand 5809.35 Squre m
|
285
|
B
|
||
|
76
|
34/13
|
Green Paradise
|
Sh. Parminder Teotiya
|
12/16/2013
|
Siwaya Jamaullapur
|
1382,1377 to 1380, 1284,1283,1280P, 1293, 1292, 1285 to 1287, 1291, 1294, 1270, 1271/1, 1296P, 1295, 1288 to 1290, 1311, 1310P, 1207 to 1209, 1298, 1319, 1301 to 1306, 1316P, 1317 to 1321, 1322P, 1376P
|
81442.45
|
279 to 281, 283 to 303, 279 to 280, School
|
80, Duplex 151, G+2 House
|
B
|
||
|
77
|
28/12
|
Green View-1
|
Sh. Parmindar Singh Teotiya
|
05/07/2013
|
Siwaya Jamaullapur
|
1448,1449,1450/1,1452,1453/1,1453/2,1454
|
9905.00
|
40,43
|
46
|
B
|
||
|
78
|
29/13
|
Green View-2
|
Sh. Parmindar Singh Teotiya
|
02/07/2014
|
Dulheda Chauhan
|
625,642,665,668/2,669 to 673, 675 to 682, 700, 705
|
19458.36
|
39,40,41,42
|
77
|
B
|
||
|
79
|
02/96
|
Inderprast 2nd
|
President Inderprast State Cooperative Housing Society 465 Prabhat Nagar Meerut
|
6/28/2000
|
Roshanpur Dhorli Roorki Road
|
756/3, 766/2, 767, 768, 794, 799, 800, 801, 802, 803, 807, 808, 809, 813, 814, 815, 816/1, 906, 907, 908, 909/2, 915, 795, 796, 797, 798, 804, 805, 806, 816/2, 817 from 827, 828/2, 834/2, 835, 836, 837, 838, 839/1, 840/2, 841/2, 901/2, 902, 903, 904, 905/
|
67100.22
|
156 from 167, and Business
|
176
|
B
|
View Layout Plan | |
|
80
|
07/2003
|
Jagdishpuram
|
Sri Tejpal Singh ,176 Nandan Garden Meerut
|
7/31/2003
|
Sradhhapuri Sardhana Road
|
In Sradhhapuri Distributed land
|
7591.32
|
|
36
|
B
|
View Layout Plan | |
|
81
|
MAP20180322164355480
|
JP Residency
|
Sh. Anurag Aggarwal
|
08/02/2019
|
Salarpur, Jalalpur
|
279,280,335,336,338,339,340,341P to 334, 346 to 350, 352P, 353
|
32318.31
|
39,70,80 to 90, 86A, 6,7,31,49,42 to 46, 59,60,64,47,68,69,13,71,91,92,121 to 126
|
115
|
B
|
||
|
82
|
10/06
|
Kalandi Kunj
|
Kalandi Constractions Pvt Ltd By Shri Pankaj Rastogi F-114 Ganga Plaza,Meerut.
|
3/25/2008
|
Roshanpur Dhorli Roorki Road
|
757, 761p, 762p, 763, 764, 905p, 921, 1063p,
|
19890.00
|
14 from 21
|
76
|
B
|
View Layout Plan | |
|
83
|
01/13
|
Kalindi Kunj
|
M/s Kalindi Cons. Pvt. Ltd. Rajender Singh Tayal
|
07/18/2013
|
Roshanpur Dorlly
|
757,758,759P to 762P, 763,764, 905P, 1063P
|
1989.00
|
A-1,A-54 to A-57, A-65 to A-69, Commercial Plot
|
70
|
B
|
||
|
84
|
MDA/LD/22-23/0861
|
KHASRA NO.- 122/1 PART, VILLAGE ANUPNAGAR FAZALPUR, ROHTA ROAD, MEERUT ''AMAN PARK''
|
RICHPAL SINGH S/O SH. SITARAM
|
08/22/2023
|
VILLAGE ANUPNAGAR FAZALPUR, ROHTA ROAD, MEERUT
|
122/1
|
2540 SQMTR
|
8,9 & 10
|
11
|
B
|
View Layout Plan | |
|
85
|
05/13
|
King Park
|
Sh. Kavindra Singh
|
09/01/2013
|
Naglatashi Kasampur
|
558,562,469P,470P,472P
|
11373.00
|
46 to 52, 27,18 to 22
|
102
|
B
|
||
|
86
|
07/15
|
Krishna World
|
M/s Prashandi Builders, Sh. Vijay Pal Yadav
|
12/22/2015
|
Lakhwaya Rasulpur, Murlipur Gulab
|
159P, 161P, 293P
|
16126.56
|
20,27,,29 to 31, 45 to 47, A-37, A-38, A-43, A-91, A-94, A-77, A-89, A-117 to A-125
|
214
|
B
|
||
|
87
|
15/11
|
Ltd,Garden Mukarrabpur Palhera Meerut
|
Shri Radhay Shyam S% Shri Sher Singh Village and Post Mukarrabpur Palhera Meerut
|
8/10/2011
|
Mukarrabpur Palhera Roorki Road
|
62
|
11776.74
|
7, 8, 9, 33 from 41,Commercial Pilot
|
51
|
B
|
View Layout Plan | |
|
88
|
14/10
|
Madhur Enclave Roorki Road Meerut
|
M/s Madhur Infra Daulopers Pvt.Ltd,by Shri Rampal Singh 205/1 old Mohanpuri Meerut
|
8/25/2011
|
Mukarrabpur Palhera Roorki Road
|
561, 562P
|
18860.00
|
10 ls 22 rd, 41, 42, 46, 47, 82, 83, 84] dkWef'kZ;y
|
84
|
B
|
View Layout Plan | |
|
89
|
11/10
|
Madhur Vihar Roorki Road Meerut
|
Shei Rajeev Singh Chauhan Mukhtayereaam Shri Ram Pal Singh 205/1 old Mohanpuri Meerut
|
3/29/2012
|
Mukarrabpur Palhera Roorki Road
|
609, 610, 611, 612p, 635p
|
27493.75
|
B-33,to B-49, ,A-57,to ,A-66, ,A- 54,A-55,A-56,A-1,A-2
|
155
|
B
|
View Layout Plan | |
|
90
|
19/07
|
Mailforce City Shobhapur Meerut
|
Shri Satpal and Shri Onprakash etc.Surya Nagar Meerut
|
6/17/2008
|
Shobhapur Rohta Road
|
701/4, 629, 709, 710/2, 923/3, 701/1, 702
|
19018.00
|
|
89
|
B
|
View Layout Plan | |
|
91
|
23/08
|
Mata Vaishnu Dham Nangla Tasi Kasampur Meerut
|
Triloki Devlopers Pvt. Ltd by Shri Rakesh Verma o1 Harilok Saket Meerut
|
8/7/2010
|
Nangla Tasi Kasampur Sardana Road
|
776, 812, 799, 800, 801, 802, 803, 805, 806, 807
|
64595.00
|
A-14, A-15 A-16,A-17 A-18,A-106,A-82,A-53, A-42, A-41, A-40, A-39,A-38, A-37, A-36,A-19, A-22,
|
252
|
B
|
View Layout Plan | |
|
92
|
619/12
|
Meerut One (Amended)
|
M/s Alfa Corp Development Pvt Ltd C/o
|
03/11/2012
|
Jatoli & Roshanpur Dorli
|
1672,1676,1678, 1680, 1731, 1732, 1733, 1734, 1736, 1741, 1743, 1745, 1664M, 1671/2, 1674M, 1675/1, 1677M, 1677, 1873, 1678M, 1679M, 1720M, 1720/2, 1729M, 1730M,1735M, 1742/1-2 & 1675 Jitoli, 192,193,196,197, 198, 199, 200, 201, 202, 206, 207, 208, 20
|
72088.410
|
.
|
.
|
B
|
View Completion Certificate | |
|
93
|
35/11
|
Metro Residency Village Jatoli Meerut
|
M/s Metro Infrastracher by Partner Shri Ompal Singh 34 Surya Nagar Meerut
|
12/17/2011
|
Jatoli Rurki Road
|
1600/2, 1601, 1602/1, 1605m, 1606/1, 1608m, 1609m
|
7142.66
|
|
27
|
B
|
View Layout Plan | View Completion Certificate |
|
94
|
113/84
|
Model Town Sardhana Road
|
Secretary Model Town Co Operative Housing Society Kankarkhera Meerut
|
3/10/1989
|
Sardhana Road
|
996, 997, 1011 and 1012,
|
58389.08
|
|
150
|
B
|
||
|
95
|
03/16
|
Mukarrabpur Palheda
|
M/s Indus Valley Promoters, Sh. Ajay Gupta
|
04/24/2017
|
Vill Mukarrabpur Palheda
|
626P, 627P
|
1520.00
|
No
|
07
|
B
|
||
|
96
|
19/12
|
Mukarrabpur Palhera
|
Shri Naresh Pal etc 03 Ashokpuri Meerut
|
1/22/2013
|
Mukarrabpur Palhera Roorki Road
|
443
|
1730.00
|
|
5
|
B
|
View Layout Plan | |
|
97
|
38/11
|
Mukarrabpur Palhera Meerut
|
Shri Anuj Jain A/50Diffence Colony Meerut
|
4/30/2012
|
Mukarrabpur Palhera Roorki Road
|
129 and 130
|
1352.75
|
|
8
|
B
|
View Layout Plan | |
|
98
|
17/10
|
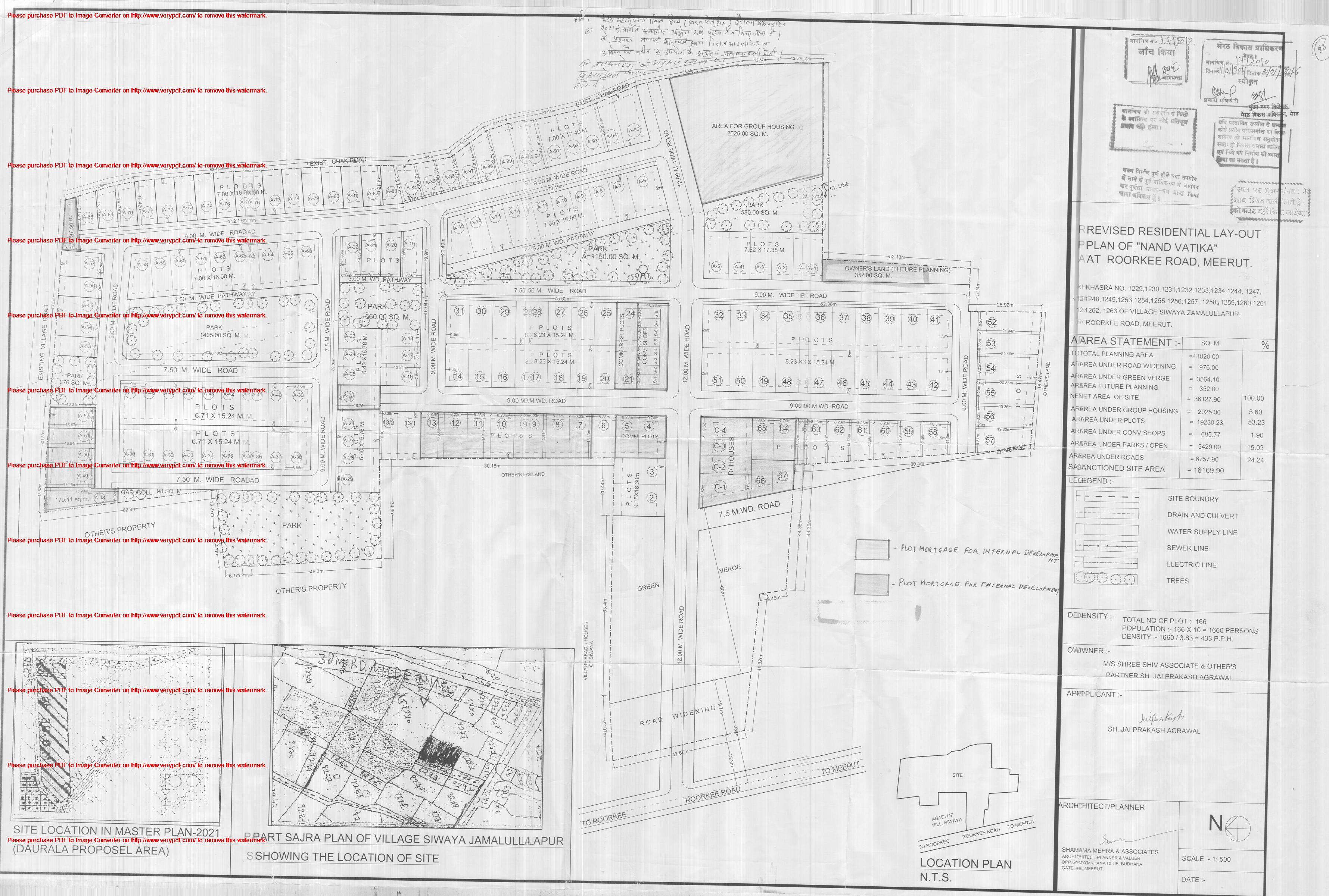
Nand Vatika
|
Shiv Associate by Shri Ambreesh Kumar, 271 Abulane Meerut
|
1/11/2011
|
Gram Sivaya Jamalpur
|
1229, 1234, 1244, 1247, 1248, 1249, 1253, 1263
|
41020.00
|
4, 5, 7, 8, 9, 10, 11, 12, 13, 66, 67, 65, 64, 21, 24, A-25,A-48,A-49,A-50,A-51, A-52, A-67 Conversion Shop,Group Housing,Bhukhand on Land future Plaining C-1, C-2, C-3, C-4
|
166
|
B
|
View Layout Plan | |
|
99
|
178/96
|
New Friends Colony
|
New Friends Sahkari Dwelling Committee, Roorki Road Meerut
|
3/18/1996
|
Pilana Sofipur Roorki Road
|
121, 108/4, 108/5, 120, 119/6 116/5, 119/3, 117 119/4, 118, 119/2
|
18500.18
|
|
79
|
B
|
View Layout Plan | |
|
100
|
178/89
|
New Friends Colony
|
New Friends Sehkari Awas Samiti
|
03/18/1996
|
Peelna Sofipur
|
121,108/4,108/5,120,119/6,116/5,119/3
|
18500.00
|
No
|
79
|
B
|
||
|
101
|
189/91
|
New Friends Phase-II Colony
|
New Friends Sahkari Dwelling Committee, Roorki Road Meerut
|
7/24/2012
|
Pilana Sofipur Roorki Road
|
140, 144, 145, 149, 183
|
10164.31
|
|
37
|
B
|
View Layout Plan | |
|
102
|
13/11
|
OLIVE GREEN CITY
|
SHRI RAHUL RASTOGI, ARVIND GUPTA, SANJEEV PUNDIR AND NARESH RAJVANSHI
|
09/05/2016
|
VILL-DUNGRAWALI BYE PASS ROAD,MEERUT
|
306/1,306/2,307,308,310,311/3, 311/4,311/5,313/1,314/1,319/1,320/2,321,322,323/1
|
40448 SQ MTR
|
PLOT NO-17
|
(COMMERCIAL PLOT C-1,2,3), RESIDENTIAL PLOT-2,3,5 TO 39, 39A,40,40A,41 TO 55, 55/1,56 TO 80
|
B
|
View Layout Plan | View Completion Certificate |
|
103
|
MeDA/24-25/P/0704-3
|
Paris Garden Colony
|
Shri Anuj Kumar Pawar, Shri Kirtpal Singh, Shri Chatarpal Singh, Shri Bhupendrapal Yadav, residents of village Dantal, Tehsil and District Meerut
|
03/05/2025
|
Village Nangal Tashi Kasampur Meerut
|
Khasra No. 462B Part, 469Part, 470Part, 472Part area 13526.99 sq.mt.
|
13526.99 sq.m.
|
Internal development work Plot No. 13, 14, 39, 40, 41, 42, 43, 45 and 49 Total 09 Plots Total Area 1069.14 sq.m.
|
Approved Plot of 53 and C-1 & C-2
|
B
|
View Layout Plan | |
|
104
|
14/2003
|
Queensland park
|
Shri Brijveer And P. O. A. Shri Sunil Tyagi
|
9/15/2004
|
Jatoli Bypass Rurki Road
|
1762, 1765, 1766, 1771, 1772,1773, 1774 From 1777,1788 From 1804
|
38004.73
|
|
171 and 01 School Pilot and 1 commercial Pilot
|
B
|
View Layout Plan | |
|
105
|
02/13
|
Railpro Residency
|
Sh. Devender Kumar
|
12/04/2014
|
Salarpur, Jalalpur
|
274P,283/1,321P,322P,323P,324P,327/3P
|
31290.00
|
15,48,79
|
98
|
B
|
View Completion Certificate | |
|
106
|
21
|
Rajan Kunj
|
Sri Naresh Kumar Mittal , 94 budhanagate Meerut
|
12/11/2001
|
Roshanpur Daurli
|
541, 542, 543/1, 543/2, 544, 545, 546, 547
|
22901.00
|
|
56
|
B
|
View Layout Plan | |
|
107
|
11/06
|
Rajkamal Park
|
Rajkamal Constraction by Shri Pradeep Bansal,Dev Nagar 16,Tilknagar Meerut.
|
8/31/2006
|
Roshanpur Dhorli Roorki Road
|
628, 1238, 1240, 1247 , 1255 ,1258A, 1259,1260,
|
10557.48
|
|
152 and 01 Commercial Bhukhand
|
B
|
View Layout Plan | |
|
108
|
17/08
|
Rajkamal Rasidanci
|
Rajkamal Rasidanci Partner Shri Pradeep Bansal Dev Nagar 16, Tilak Road Meerut
|
10/6/2009
|
Roshanpur Dhorli Roorki Road
|
178/2, 180/2, 226, 231, 241, 244,245/2, 233, 234, 235, 240/2, 221
|
20898.23
|
|
89
|
B
|
View Layout Plan | |
|
109
|
04/2003
|
Roshanpur Daurli
|
Sri Rajeev Kumar ,214A Ganj Bazar Meerut
|
5/03/2003
|
Roshanpur Daurli Roorki Road
|
535
|
3518.00
|
|
12
|
B
|
View Layout Plan | |
|
110
|
13/16
|
Roshanpur Dorlly
|
M/s Ansal Housing & Cons. Ltd., Sh. rajender Sharma
|
02/17/2017
|
Roshanpur Dorlly
|
24,27,28,32,33
|
3563.66
|
No
|
02
|
B
|
||
|
111
|
19/09
|
Royal Park Etension
|
Shri Satender Singh etc..Sharadhapuri-1 Meerut
|
3/31/2011
|
Mukarrabpur Palhera Roorki Road
|
531P, 553P, 555P 556, 557
|
20797.00
|
B-58, B-59, B-60, B-65, B-66, B-79, B-79/1, B-80, B-81/1, B-101, B-102
|
102
|
B
|
View Layout Plan | |
|
112
|
15/07
|
Royal Park Roorki Road Meerut
|
Shri Anil Kumar and Jitender Kumar M-2/107 Sharaddha puri-1 Meerut.
|
2/8/2008
|
Mukarrabpur Palhera Roorki Road
|
519P, 530P.
|
10622.90
|
|
44
|
B
|
View Layout Plan | |
|
113
|
15/16
|
ROYAL RESIDENCY
|
ADS INFRATECH C/O SATENDER SINGH AND PRAGTI BUILDTECH C/O MANOJ RANA
|
12/20/2017
|
NEAR PALLAV PURAM ROORKI ROAD MEERUT
|
519 (PART) 529(PART) AND 559
|
8808.53 SQ MTR
|
PLOT NO 4 TO 18
|
48
|
B
|
View Layout Plan | |
|
114
|
31/14
|
Sai Garden
|
Sh. Yashpal Singh
|
08/14/2015
|
Vill Mamepur, Amheda Adipur
|
240P, 241P, 306P, 307P, 308
|
5240.00
|
17,18,5, Comm. Plot
|
19
|
B
|
||
|
115
|
22/08
|
Shanti Nagar -II
|
Shri Mehash Chand Secretary, Shanti Nagar Cooperative Housing Society Roorki Road Meerut
|
11/15/2008
|
Roshanpur Dhorli Roorki Road
|
918m,919m,920/1m
|
2420.00
|
|
12
|
B
|
||
|
116
|
01/97
|
Shanti Nagar Extension
|
Shanti Nagar Cooperative Dwelling Committee by Shri Mahesh Chand,01 Professer Colony Victoria Park Meerut
|
1/14/1997
|
Mukarrabpur Palhera Roorki Road
|
712/2, 744, 745, 746, 747, 749,751, 752, 769, 787
|
32316.00
|
|
70
|
B
|
View Layout Plan | |
|
117
|
14/16
|
Sheel Kunj
|
M/s Indus Valley Promoters, Sh. Ajay Gupta
|
04/28/2017
|
Vill Mukarrabpur Palheda
|
451P, 468P, 170P to 473P, 474 to 477, 478P, 483P, 484, 485P, 487P
|
32448.00
|
No
|
125
|
B
|
||
|
118
|
04/07
|
Sheel Kunj
|
M/s Indsvelly Promotors Ltd,P.L Sharma Road,Meerut.
|
7/19/2008
|
Mukarrabpur Palhera Roorki Road
|
473, 482p, 483, 485, 486, 613, 615, 623 ,
|
58091.00
|
|
183
|
B
|
View Layout Plan | |
|
119
|
15/12
|
Sheel Kunj - 3,
|
Indus Valley Promotors Ltd (C/o Ajay Gupta)
|
09/10/2013
|
Muqrabpur Palhera
|
612 part, 613 part, 624 part, 625,626 part, 627 part, 633, 634, 635 part, 636,637 part, 638 part, 639 part, 640 part
|
96497.00
|
House No 362 to 367 & 1029 to 1038 & 1060 to 1063, 316 to 342 & 1059
|
405
|
B
|
View Completion Certificate | |
|
120
|
22/09
|
Sheel Kunj-2nd Mukarrabpur Palhera Meerut
|
Shri Tej Ram Singh and Shri Arun Kumar Goyal,4/5 Maansarover Meerut
|
6/10/2011
|
Mukarrabpur Palhera Roorki Road
|
624, 626, 627, 628, 629P, 637, 638, 640P, 644P, 645P, 647P, 648P,
|
113765.00
|
26 Bhukhand and 01 Commercial Pilot
|
258
|
B
|
View Completion Certificate | |
|
121
|
8/12
|
Sheel Kunj-I (Amended)
|
M/s Indus Valley C/o Mr Ajay Gupta
|
06/30/2015
|
Muqrabpur Palhera
|
473, 482part, 483, 485, 486, 487part, 490part, 613part, 615part, 616, 617, 618, 619, 620, 621, 622 & 623
|
64908
|
.
|
.214
|
B
|
View Completion Certificate | |
|
122
|
12/09
|
Shoaib Hitech Oak City
|
Shri Hari Mohan Sharma by M/s Shoaib Hitech Pvt.Ltd New Delhi
|
1/29/2010
|
Dayampur and Nanglatashi Sardhana Road
|
580, 579, 581, 577, 587, 771, 775k 770, 773a,773b 292,611
|
92611.00
|
|
424
|
B
|
||
|
123
|
02/16
|
Silver City
|
Sh. Ashok Kumar & Smt. Rameshwari Devi
|
04/30/2016
|
Ikhlas Nagar Dabka
|
462P
|
2880.00
|
D-13
|
18
|
B
|
||
|
124
|
07/12
|
Silver City Dabka
|
M/s P.R Infratech Pvt.Ltd by Shri Praveen Bansal B/59 Samrat Palace Garh Road Meerut
|
10/18/2012
|
Iklaas Nagar Dabka Bypass Roorki Road
|
465, 467, 469, 470, 471, 504, 507 from 518,B-56, 20, 21, 22,
|
58833.00
|
C-21 from C-25, C-49,C-85,C-86, A-1, 2, 3, 4, 28, 29, 30, 33,59,60, 62, 85and Conversion Plot
|
283
|
B
|
View Layout Plan | |
|
125
|
07/12 & 11/13
|
Silver City Ext.
|
M/s P.R.A. Infratech Pvt. Ltd. Sh. Sidhartha Panwar
|
12/24/2013
|
Ikhlas Nagar Dabka
|
999P, 500P, 502, 503
|
10913.34
|
C-108, C-126
|
42
|
B
|
||
|
126
|
15/2001
|
Sun City First
|
Sri Subhash Chand ,P.O.A. Sri Pradeep Bansal
|
1/10/2002
|
Roshanpur Daurli Roorki Road
|
125p, 126p, 127p, 128p, 129/1, 132, 139p, 140/1, 141, 142/2, 143/2, 144/1, 146, 147p, 149p
|
9349.00
|
|
46
|
B
|
View Layout Plan | |
|
127
|
05/2002
|
Sun City Second
|
Sri Subhash Chand , Sun city Rooki Road Meerut
|
3/13/2013
|
Roshanpur Daurli Roorki Road
|
From 125 ,to128part, 129/1 132p 139p 140/1, 141p, 142/2, 143/3, 144/1, 146, 147p 148p, 149p, 110p 174, 175, 176, 247/1, 107p, 108p ,109 150, 177, 181/1, 256/1, 151/1, 152/2, 153, 172, 173, 246/1, 256/1/2, 257/1
|
31634.00
|
|
137
|
B
|
||
|
128
|
12/06
|
Sunrise Enclave
|
Shri Anurag Gupta Punchsheel Colony Garh Road Meerut
|
2/5/2008
|
Pilana Sofipur Dhorli Roorki Road
|
35/2, 12, 87, 1322, 1323, 1324, 1326, 1327, 1328, 1329/2, 1330p
|
12410.00
|
|
62
|
B
|
||
|
129
|
10/08
|
Sunrise Enclave Roorki Road Meerut
|
City Buildcon Partner Shri Anurag Gupta,Bharat Plaza Garh Road Meerut
|
2/4/2009
|
Roshanpur Dhorli Roorki Road
|
35/2,1287, 1288, 1289/1, 1315/1, 1315/2, 1316/1, 1317 ls 1324, 1326,1327, 1328,1329/2 and 1330p
|
18739.00
|
|
93 and 01 Commercial Pilot
|
B
|
View Layout Plan | |
|
130
|
MDA/24-25/P/5403-3
|
TEJASVI KUNJ
|
M/S TEJASVI BUILDERS AUTH. DIRECTOR SHRI SHOKINDRA KHOKHAR (LEAD MEMBER) THROUGH CONSTRIUM BETWEEN M/S TEJASVI BUILDERS AND DAYA COLONISERS PVT
|
02/11/2025
|
VILLAGE- MOHAMMADPUR HAYAK, DAURALA, LAWAR ROAD, MEERUT
|
KHASRA NO-184
|
11906.50 SQMTR
|
PLOT NO-3,7,18,31,32,34,48 AND 1,17,49 TO 55
|
56 PLOTS
|
B
|
View Layout Plan | |
|
131
|
21/2000
|
Trupati Garden
|
Sri Tej Ram ,Trupati Builders promoters, Western Kacheri Road Meerut
|
2/22/2001
|
Pilana Sofipur Roorki Road
|
146, 183, 147, 148 , 175
|
9104.00
|
|
25
|
B
|
View Layout Plan | |
|
132
|
17/2001
|
Trupati Garden
|
Sri Arvindnath Seth, Shiaji Road Meerut
|
5/22/2001
|
Kasheru Baksar
|
156
|
20430.00
|
|
49
|
B
|
||
|
133
|
30/12
|
Uday City
|
M/s Satyam Associates, Sh. Ravindra Pal
|
05/31/2013
|
Mukarrabpur palheda
|
175P, 177,178
|
7200.00
|
41,41/1,41/2,B-19/1 to B-19/8
|
41
|
B
|
||
|
134
|
21/08
|
Uday City
|
M/s Satyam Associate by Shri Ravinder Pal Singh A-135, Difence Colony Meerut
|
1/29/2010
|
Mukarrabpur Palhera Roorki Road
|
173, 174, 175, 179, 199, 200, 246, 251, 252
|
43098.00
|
|
12
|
B
|
View Layout Plan | |
|
135
|
27/06
|
Uday Park
|
Shri Ravindra pal Singh,A-135 Diffence Colony Meerut
|
9/15/2007
|
Mukarrabpur Palhera Roorki Road
|
144P
|
29940.00
|
|
133
|
B
|
View Layout Plan | |
|
136
|
09/13
|
Vardhman Embraled Green
|
M/s Ajanta Coloniser Ltd. Director Sh. Utkarsh Jain
|
03/07/2013
|
Siwaya
|
845 to 854, 887, 873P
|
31690.18
|
B-12, C-38
|
145
|
B
|
||
|
137
|
15/14
|
VARDMAN ENERALD GREENS
|
M/S AJAMTA COLONISER LTD
|
04/15/2015
|
SIWAYA
|
845M,846M,847M,848M,849.850,851,852,853,854,887,873,874,875,876,877,828,829,830,831,832,833,834,866M,867M,868,871,870,872,878,856,857,858,888,889,889,879,869/1,865B,869/2,835,836M
|
61380.52
|
D-20,D-26,D-28,D-36,D-37,D-38,D-65,D-98 TO D-106,D-27,D-35,D-39 TO D-47, D-52 TO D-64,D-107 TO D-110
|
292
|
B
|
View Layout Plan | |
|
138
|
MDA/LD/21-22/1236
|
VASUNDHRA RESIDENCY
|
VASUNDHARA INFRA BUILD PVT. DIRECTOR AMIT KUMAR AND VASUNDRA KESARI BUILD COM PVT. LTD. DIRECTOR PARVEEN CHAUHAN
|
03/04/2023
|
POCKET-P, PALLAVPURMA, PHASE 2nd, TEHSIL SARDHANA, MEERUT
|
VILLAGE- DULHERA CHAUHAN KHASRA NO- 1214, 1247/4, 1250(KA), 1250(KHA), 1251(KA), 1251(KHA), 1252, 1253(KA), 1253(KHA), 1254, 1255, 1256, 1257(M), 1258, 1259 & 1282, AND VILLAGE- MUKARRABPUR PALHERA MEERUT KHASRA NO-153(M), 167(M) & 169
|
38049.36 SQ MTRS
|
SHOPPING & CONVINENT SHOP PLOT AND RESIDENTIAL PLOT NO- A1, A5, A24, A25, A32, A43, A45, A46, A61, A62, A63, A64, A86, A87, A95, A101, A102, A103, A104, A127, A128, A129, A130 = TOTAL 25
|
136
|
B
|
View Layout Plan | |
|
139
|
MDA/LD/23-24/1122
|
VEDA CITY COLONY
|
M/S SRR BUILDCON LLP THROUGH (PARTNER) SH. RAJ KIRAN S/O SH. HAR PRASAD, M/S SHIVAYA LAMINATIONS PVT.LTD. THROUGH ( DIRECTOR) SH. RAJEEV AGARWAL, M/S PRASANDI BIOTECH PARK PVT. LTD. THROUGH (DIRECTOR) SH. SACHIN AGARWAL, M/S SONA CHANDRA BUILDERS PVT. LTD. THROUGH (DIRECTOR) SH. HAR PRASAD, M/S HOME COUTURE PVT. LTD. THROUGH (SIGNATORY) SH. AJAY CHAUDHARY, M/S R S DEVELOPERS THROUGH (PARTNER) SH. RAJEEVAGARWAL
|
07/20/2024
|
VILLAGE -MURLIPUR GULAB TEHSIL AND DISTT-MEERUT
|
VILLAGE -MURLIPUR GULAB TEHSIL AND DISTT-MEERUT KHASRA NO. 327(A), 327(B)PART, 334, 338, 339, 337PART, 340, 129PART, 341PART, 331PART, 293/2PART
|
38933.00Sqmtr
|
A1. A17, A18, A19, A20, A21, A22, A23, A24, A46, A47, A48, A59, CONV. SHOPS, SECTOR SHOPPINGTOTAL = 15 PLOTS
|
80 Plots + CONV. SHOPS & SECTOR SHOPPING
|
B
|
View Layout Plan | |
|
140
|
MDA/LD/21-22/1385
|
VEDANTA KUNJ-II
|
M/S INDUS VALLEY PROMOTERS LTD. & M/S SHRISTI PROMOTERS PVT LTD.
|
11/22/2022
|
NH-58, VILLAGE SIWAYA JAMALPUR, MEERUT
|
570-PART, 574 PART, 575 PART, 577 PART, 578,579, 580-PART, 708, 709, 710 PART, 711,712,713,714,715 PART,727,728,729,730 PART, 731 PART, 732,733,734 PART, 735-PART
|
28600.37 SQMTR
|
19
|
104
|
B
|
View Layout Plan | |
|
141
|
11/11
|
Vernika Enc.Shobhapur Meerut
|
M/s B.L Infratech Pvt.Ltd by Shri Sumit Goyal
|
9/22/2011
|
Shobhapur Rohta Road
|
922P,
|
7784.79
|
|
36
|
B
|
View Layout Plan | |
|
142
|
01/08
|
Vikas Garden Rohta Road Meerut
|
Shri Richpal Singh Vikas Enclave Rohta Road Meerut
|
6/11/2008
|
Shobhapur Rohta Road
|
702, 703, 705, 706, 708, 923/4
|
8140.00
|
|
40
|
B
|
View Layout Plan | |
|
143
|
12/11
|
Vishraam Vatika Roorki Road Meerut
|
Shri Madanpal Singh etc.6th Bataliyan Roorki Road Meerut
|
12/12/2011
|
Pilana Sofipur Roorki Road
|
3/2, 5/1, 5/2, 6, 7, 9, 10, 11, 12/1, 12/2, 13/2, 14/2, 14/3, 15, 16, 17, 20, 26
|
40095.00
|
148 from 159, 189, 160, 147, 124, 62, 91, 122, 123
|
189
|
B
|
View Layout Plan | |
|
144
|
538/2021
|
VISHWAKARMA COMMERCIAL PARK
|
SLG DEVELOPERS & PROMOTERS PVT LTD AUTH SIGNATORY MR KAMAL THAKUR
|
04/28/2021
|
SHRADHAPURI PHASE-2 BYE PASS ROAD
|
PLOT NO CP-01
|
6300
|
NA
|
14
|
B
|
View Layout Plan | |
|
145
|
144/87
|
Vivek Vihar
|
Nishant Garden Sehkari Awas Samiti
|
12/31/1999
|
Roshanpur Dorlly
|
562 to 564, 565 to 567, 580,582 to 586, 593,594/1,595/2,596,597,598/1,598/2
|
55100.53
|
No
|
103
|
B
|
||
|
146
|
32/13 & 19/13
|
Vrindavan Enclave
|
M/s Grovil Coloniser Pvt. Ltd.
|
07/28/2014
|
Amheda Adipur
|
251, 269
|
15330.90
|
4,48 to 53, 60 to 62
|
62
|
B
|
||
|
147
|
MeDA/24-25/P/1231
|
West Bank Residential Colony
|
Shri Chandraveer Singh s/o Shri Sumer Singh and Shri Vivek Ahlawat s/o Shri Chandraveer Singh
|
12/17/2024
|
Village Dayampur (Near-Ark City) Meerut Khasra No. 291
|
Village Dayampur (Near-Ark City) Meerut Khasra No. 291
|
Net Area 5992.03 Sqmtr
|
IDC Plot No. 16, 27, 28, 29, 30
|
30
|
B
|
View Layout Plan | |
|
148
|
MDA/LD/25-26/0667
|
WINGSPAN RESIDENCY
|
1. OM VENTURES (SIGN. AUTH. SHRI MONU KUMAR) 2. OM ASSOCIATES (SIGN. AUTH. SHRI AMIT KUMAR) 3. SHRI MONU KUMAR) 4. (JAGAT SINGH & GAJAY SINGH & UDAYVEER SINGH & BIRSAIN & SHYAM SUNDAR) 5. GAJENDRA KUMAR
|
11/10/2025
|
VILLAGE SINDHAWALI, JANGHETHI ROAD, ROHTA ROAD, MEERUT,
|
VILLAGE SINDHAWALI, JANGHETHI ROAD, ROHTA ROAD, MEERUT KHSRA NO-65/5M, 65खड, 66, 67M, 74, 75M & 80
|
81481.83 sqmtr
|
A- 22 TO A- 45, B- 01, B- 02, B- 19 TO B- 62, Commercial Use (Shops) Kiosks, School Total = 73 Plots
|
Total Approved = 380 Plots
|
B
|
View Layout Plan | |
|
149
|
25/13
|
Alfa City
|
M/s Relpro Housing Pvt Ltd C/o Shri Mohit Goel R/o 21 Vrandavan Garden Roorki Road Meerut
|
26/02/2014
|
Khadoli & Rampur Pavti Baghpat Road, Meerut
|
573m, 574, 135,124,125,126,128,122,142,149,136M,139M,137B & 141M
|
43825.92
|
Vachanbadhta ke Adhar Par
|
164
|
C
|
||
|
150
|
16/07
|
Anand Colony
|
Shri Dal Chand Gupta and Rajeev Agarwal
|
7/3/2008
|
Kalindi
|
1774
|
2020.26
|
|
9
|
C
|
View Layout Plan | |
|
151
|
32/10
|
Apex City
|
M/s K R C Infratech Pvt. Ltd by Shri Krishan Kumar Gupta
|
3/21/2011
|
Rampur Pavti
|
252part
|
44071.45
|
A-3, A-4,A-9,A-10,A-12 from A-16, ,A-27 from,A-30,A-11, ,A-39 from,a-42 ,A-129 and,A-160
|
159
|
C
|
View Completion Certificate | |
|
152
|
82/23
|
APEX CITY
|
M/S HERITAGE INFRAHEIGHTS PVT LTD
|
05/29/2024
|
VILLAGE RAMPUR PAWTI
|
231, 233PART, 252PART, 272PART
|
1195
|
C-128 TO C-131 AND C-164
|
49
|
C
|
View Layout Plan | |
|
153
|
17/12
|
Apex City Baghpat Road
|
M/s KRC Infratech Pvt Ltd C/o Director Shri Krishan Kumar Gupta
|
23/11/2012
|
Rampur Pavti Baghpat Road, Meerut
|
252-Part, 254 Part,255,256 & 259
|
31567.10
|
E-9,10,22 to 25. 97 to 100, 26,36,43 to 123
|
144
|
C
|
||
|
154
|
MDA/LD/21-22/0721
|
APEX SOUTH CITY
|
INFRAHEIGHTS PVT. LTD. THROUGH DIRECTOR SH. ATUL GUPTA
|
06/23/2022
|
VILLAGE MALIYANA ,MEERUT
|
"KHASRA NO.- 1453(PART),1455,1457,1458(PART),1462(PART),1467/1861(PART),1467 (PART)1468,1469 (PART),1470(PART)1472,1473,1474,1475,1476 PART1478,1482 (PART),1483 (PART)1486 (PART) & 1488, VILLAGE MALIYANA ,MEERUT"
|
100134.55
|
47, 48, 50, ,51, 52, 53, 54, 146, 193, 194, 195, 214, 215, 216, 229 TO 246, SECTOR SHOPING NURSURY SCHOOL TOTAL 34 PLOT (INTERNAL DEVELOPMENT)
|
194
|
C
|
View Layout Plan | |
|
155
|
34/14
|
Ashoka Green, Gram Maliyana Baghpat Road
|
M/s Bajania Associates C/o Partner Shri Jitendra Verma R/o Abu Plaza Abu Lane Meerut
|
14/10/2015
|
Ganesh Vihar, Maliana Baghpat Road
|
762,763 & 766/2M
|
6028.32
|
C-1,1,2,15,16 & 20
|
23
|
C
|
View Layout Plan | |
|
156
|
01/06
|
Aspen Guarden
|
M/s Era Landmark
|
28-07-09 26- 11-12 Revised
|
Khadoli
|
61, 66 from 71, 73 from 75, 81 from 85, 88, 92 from 96, 98, 102 and 103, 155, 160, 162, 181, 182, 186 from 191, 217, 218, 109 from 111, 115 lfrom 118, 129, 130, 133 from 135, 139 and 154
|
131326.57
|
|
536
|
C
|
View Layout Plan | |
|
157
|
41/14 Ammended
|
Banarsi Das Estate, Baghpat Road
|
M/s Jaswant Sugar Mills Ltd
|
08/01/2016
|
Maliyana Baghpat Road
|
1049
|
13910
|
A-26 & B-12
|
62
|
C
|
View Layout Plan | |
|
158
|
05/14
|
Chitrakut Enclave
|
A.S. Sheltor Pvt Ltd
|
13/10/2014
|
Kadoli Baghpat Road
|
801,804,807,808,809,813,815 & 816
|
27217.85
|
A-38 to 46, B-11
|
121
|
C
|
View Layout Plan | |
|
159
|
24/11
|
Dhungravali
|
M/s Gayatri Build Associate by Shri Pankaj Choudhary
|
10/20/2011
|
Dhungravali
|
331/7, 331/8, 331/9, 331/10, 331/11, 331/13, 429, 430, 431/1, 434/5, 434/6,
|
33510.00
|
A-01, 69,77, 81, ,A-16, 39, 40, 41, 25, A-97 from 109
|
122
|
C
|
||
|
160
|
04/12
|
Gayatri Estate
|
M/s Gayatri Builds Associate Pvt.Ltd, by Shri Pankaj Choudhary
|
5/21/2012
|
Mehroli
|
426/4, 428/2, 428/3, 436, 437, 438/3, and 438/4
|
16151.25
|
B-26, 27, 46, 47, and B-25, 38, 39, 40, 52, 56, 57 and 58
|
58
|
C
|
View Layout Plan | |
|
161
|
13/13
|
Gayatri Estate Block G & F
|
M/s Gayatri Multi Services Pvt Ltd
|
08/07/2014
|
Mahroli Byepass Road
|
401part, 438/1 part, 438/2 part, 439 part, 475 part, 478 part, 479 & 480 part.
|
51300
|
F-12 to 16, F-53 to 60 & Commercial G-80 to 81, G-175 to 181, G-89 to 100, G-31,33,35 & F-01
|
279
|
C
|
View Layout Plan | |
|
162
|
05/12
|
Gayatri Estate C Block
|
M/s Gayatri Bulid Asociate
|
29/12/2012
|
Mahroli, Bye Pass Road,Meerut
|
420,421/4,421/5,421/6,424/1,424/3,426/1,426/3,428/3, & 429
|
38350
|
C-120,180,99,40,30,70,31,32,37,79,41,50,12,17,28,35,44,49,91,94,99,107,108,113,119,144,145,174,177,182,185,186 & 184
|
174
|
C
|
||
|
163
|
12/12
|
Gayatri Estate D Block
|
M/s Gayatri Bulid Asociate
|
30/09/2013
|
Dungravli & Maharoli Bye Pass Road
|
311/7,331/13,312,313/3,332,331/11,331/1,331/12 & 418,420,429 & 431/1
|
41293.71
|
D-01,2,7,8,10,11,18,47,87,88,91,86,154,155,160,161,12,13,14,15,16,17,19,20,21,22,41,42,45,46,69/1,69/2,71,72,73,74,111,113,145,150,156,157,158,159,165,166 & 167
|
169
|
C
|
View Layout Plan | |
|
164
|
30/13
|
Gayatri Garden
|
M/s Gayatri Multi Services Pvt Ltd
|
24/04/2014
|
Dungravali Bye Pass Road
|
116/1, 116/2,111,113/2,112 Part, 198/10, 198/5, 192/9, 192/6,113/1,115/1,198/6, 198/2, 197part,198/14M,198/8,198/14,194/1,194/2,193/5,192/13,192/10,192/8,195part,115/2,115/3,114,198/1,194/7,192/12,25part & 267 part.
|
72580
|
116 to 119, 288 to 293, 239 to 240, 237,235,233, 231, 229, 227, 259, 257, 255, 253, 251,249,247 & 245,01,13,26,27,52,295,307 to 321,85 to 106,139,141,143,63,64,65,66 & Commercial
|
127 & Duplex House - 194
|
C
|
View Layout Plan | |
|
165
|
05/12
|
Gayatri Green Block "C"
|
M/s Gayatri Build Associates Pvt Ltd C/o Pankaj Chaudhary
|
29/12/2012
|
Mahroli
|
420, 421/4, 421/5,421/5,421/6.424/1,424/3, 426/1,426/3,426/4,427,428/2,428/3,429
|
38350
|
C-12,17,28,35,44,49,91,107,108,113,144,145,174,177,182,185,186,30,31,32,37,40,41,50,70,79,94,99,119,120,180 & 184
|
186
|
C
|
||
|
166
|
05/12
|
Gayatri Green Block-c
|
M/s Gayatri Builds Associate Pvt.Ltd, by Shri Pankaj Choudhary
|
12/29/2012
|
Mehroli
|
420, 421/4, 421/5, 421/6, 424/1, 424/3, 426/1, 426/3, 426/4, 427, 428/1, 428/2, 428/3, 429
|
38350.00
|
C-12, 17, 28, 35, 44, 49, 91, 107, 108, 113, 144, 145, 174, 177, 182, 185, 186, 30, 31, 32, 37, 40, 41, 50, 70, 79, 94, 99, 119, 120, 180, and 184
|
186 + EWS+LIG
|
c
|
View Layout Plan | |
|
167
|
05/12
|
Gayatri Green Block-c
|
M/s Gayatri Builds Associate Pvt.Ltd, by Shri Pankaj Choudhary
|
12/29/2012
|
Mehroli
|
420, 421/4, 421/5, 421/6, 424/1, 424/3, 426/1, 426/3, 426/4, 427, 428/1, 428/2, 428/3, 429
|
38350.00
|
C-12, 17, 28, 35, 44, 49, 91, 107, 108, 113, 144, 145, 174, 177, 182, 185, 186, 30, 31, 32, 37, 40, 41, 50, 70, 79, 94, 99, 119, 120, 180, and 184
|
186 + EWS+LIG
|
C
|
||
|
168
|
17/02
|
Gokul Vihar
|
Shri Yatender Singh and Shri Bijender
|
9/15/2003
|
Golabar
|
31,33, 34, 36,
|
30730.00
|
|
99
|
C
|
||
|
169
|
28/06
|
GREEN WOOD CITY
|
Jitendra singh Bajwa
|
09/22/2007
|
Green Wood City Near By-pass crossing, Baghpat road,Meerut
|
409,410/2,410/3,411 to 420(Rampur Pavati Vill.)Vill Maliyana- 1626,1627,1628P, Vill-Panchali Khurd Khasra-521P
|
193660
|
-
|
548
|
C
|
View Layout Plan | |
|
170
|
MeDA/24-25/E/4713
|
Gyatri Enclave
|
M/s Gayatri Properties & Constructions Through Partner Shri Nirmal Singh S/O Shri Dharamvir Singh And Other
|
01/28/2025
|
Village Sudpur Urf Pathanpura Meerut Khasra number 225/3, 228/3, 253 and 261
|
Village Sudpur Urf Pathanpura's Khasra number 225/3, 228/3, 253 and 261
|
24,240.27 sq. m.
|
Internal Development Work Plot No. Sector Shopping, Conv. Shopping, A-17, A-18, A-19, A-11, A-40, A-91, A-92, A-93, A-94, A-99 TOTAL = 12 (TWELVE PLOT) External Development Work Plot No. A-26, A-27, A-38, A-39, A-72, A-85, A-90, A-96, A-97 TOTAL NO PLOT = 09 (NINE PLOT)
|
98 PLOT
|
C
|
View Layout Plan | |
|
171
|
MeDA/24-25/E/4713
|
Gyatri Enclave
|
M/s Gayatri Properties & Constructions Through Partner Shri Nirmal Singh S/O Shri Dharamvir Singh And Other
|
01/28/2025
|
Village Sudpur Urf Pathanpura Meerut Khasra number 225/3, 228/3, 253 and 261
|
Village Sudpur Urf Pathanpura's Khasra number 225/3, 228/3, 253 and 261
|
24240.27 sq. m.
|
Internal Development Work Plot No. Sector Shopping, Conv. Shopping, A-17, A-18, A-19, A-11, A-40, A-91, A-92, A-93, A-94, A-99 TOTAL = 12 (TWELVE PLOT) External Development Work Plot No. A-26, A-27, A-38, A-39, A-72, A-85, A-90, A-96, A-97 TOTAL NO PLOT = 09 (NINE PLOT)
|
98 PLOT
|
C
|
View Layout Plan | |
|
172
|
23/11
|
Harman City Baghpat Road
|
M/s Harman Properties Ltd
|
23/12/2011
|
Maliyana Baghpat Road
|
626 & 628
|
33522.49
|
01 to 09, 10 to 19 & Commercial Plot No 01 & 02
|
148
|
C
|
View Layout Plan | |
|
173
|
06/12
|
Harman City. Maliyana, Baghpat Road
|
M/s Harman Properties Ltd
|
24/12/2013
|
Maliyana Baghpat Road
|
607,669,671,673,600P,595P, 581P, 587 P, & 582 P
|
62419, Net-36279.25
|
138 to 148, 32 to 35 & 75,76, 195, 203 & 207
|
211
|
C
|
||
|
174
|
23/11
|
Harman Colony
|
Harman Properties by Shri P.S Kookreja
|
12/23/2011
|
Maliyana
|
628 and 629
|
33522.49
|
10 from 19, and 01 from 09, and Commercial Pilot no.01 and 02
|
150
|
C
|
||
|
175
|
34/11
|
Maan Sarovar Guarden Faze 2
|
Shri Rahul Agarwal and Shri Pradeep Gupta
|
3/13/2012
|
Mohakkampur
|
104, 105, 106part, 107part, 111part, 112part 113, 114 and 117 part
|
18383.50
|
33 from 41 and 28 of half part 42, 84, 85, 87, and 28 of half part
|
87
|
C
|
||
|
176
|
17/09
|
Madhur Vihar
|
M/s Meerut Estate Doulopers Shri Inder Kumar Garg
|
1/25/2010
|
Maliyana
|
174, 111, 112, and 113
|
1210.00
|
|
10
|
C
|
||
|
177
|
18/10
|
Maliyana
|
M/s Vivishu Doulopers Pvt.Ltd by Shri Atul Gupta
|
11/1/2010
|
Maliyana
|
151, 152, 153, 158part, 159part
|
38427.82
|
08 from 14 and 148,
|
167
|
C
|
View Layout Plan | |
|
178
|
05/16
|
Maliyana Baghpat Road
|
M/s Harman Infratec C/o Shri KPS Kukreja
|
13/07/2016
|
Vill-Maliyana Baghpat Road, Meerut
|
581P,587P,588P,592 part 593 part,595 part, 600 part & 607 part
|
18423.38
|
F-15,E-11,12,12/A,E-14,15,16 & 17, E-1 to 10
|
93
|
C
|
||
|
179
|
20/13
|
Mansarover Garden Second
|
M/s Mansarover Infra Pvt Ltd C/o Director Shri Rahul Agarwal R/o A-9, Kamla Nagar,Meerut
|
03/03/2014
|
Mohkam Pur Delhi Road
|
106 Part, 107 Part, 108,109 & 111 Part
|
22292.23
|
वचन बद्धता के आधार पर
|
110
|
C
|
View Layout Plan | |
|
180
|
44/2020
|
MANSAROVER GARDEN-II EXTENSION-II
|
MANSAROVER INFRA BUILD PVT LTD THROUGH DIRECTOR MR KAMAL THAKUR
|
04/28/2021
|
MOHKAMPUR
|
108 PART, 109 PART, 140 PART
|
4907.72
|
PLOT NO 122 & 123
|
24
|
C
|
View Layout Plan | |
|
181
|
830/12
|
Mliyana
|
Sunshine Infra Heights Pvt Ltd
|
25/01/2014
|
Maliyana
|
1730 to 749, 1758, 1760 to 1785, 1797 to 1808,1810 to 1815
|
22292.23
|
5000 sq mtrs land B-10 to B-28,B-32 to 37
|
110
|
C
|
||
|
182
|
18/07
|
Mohakkampur
|
Shri Prem Prakesh and Shri Kamal Kumar Goyal
|
4/4/2008
|
Mohakkampur Delhi Road
|
13, 134, 135 and 152
|
18790.00
|
|
85
|
C
|
||
|
183
|
10/10
|
Mohakkampur
|
M/s Buildcon
|
12/29/2010
|
New Vishv Enclave
|
112part, 114part, 115, 116, 117, 118, 120, 121, 123part
|
16431.55
|
|
88
|
C
|
||
|
184
|
10/10
|
Mohakkampur
|
M/s Shiv Buildcon by Shri Rahul Agarwal
|
12/29/2010
|
New Vishv Enclave
|
112part, 114part, 115, 116, 117, 118, 120, 121, 123part
|
16431.55
|
|
88
|
C
|
View Layout Plan | |
|
185
|
16/04
|
Nand Vihar
|
Shri Vijaypal Yadav
|
10/1/2004
|
Khadoli
|
26, 40, 41, 35, 36, 42, 204, 2047, 199, 196, 192, 160, 159, 156, 127, 126, 120, 43/7, 33, 31, 192, 205 37
|
95716.85
|
|
214+Group Housing+154
|
C
|
||
|
186
|
30/11
|
Neelkanth Havens
|
Shri Surender Singh and Shri Prem Singh
|
4/26/2012
|
Surendera Alias Putha
|
68
|
9779.26
|
26, 27, 29. 30, 4, 5, 6, 7, 8, 9,10, 11, 31, 32, 33,L-6 and 7
|
65
|
C
|
View Layout Plan | |
|
187
|
17/14
|
New Shambhu Nagar Colony
|
M/s Shambhu Developers C/o Shri Vijay Kanwar
|
17/04/2014
|
New Shambhu Nagar, Meerut Delhi Road
|
107P,142part,143,144part,201P,202P,203 to 207,208 part, 209 part,210P, 213/2,214,215, 245 & 246
|
30344.83
|
127,128,129,02,03,04 & 05,01,23,76,77,78 & 79
|
300
|
C
|
View Layout Plan | |
|
188
|
38/21
|
NEW SHAMBHU NAGAR EXTENSION (38/21)
|
SHAMBHU DEVELOPERS
|
09/20/2021
|
DELHI ROAD
|
107-PART, 209-PART, 210-PART, VILL-MOHKAMPUR
|
4061.36 SQMTR
|
PLOT NO 136
|
11
|
C
|
View Layout Plan | |
|
189
|
31/11
|
Om Sai Dham Colony
|
M/s Balsans Jewellers by Shri Parveen Kumar
|
12/12/2011
|
Bhurbhral
|
218, 225, 227, 228, 373, 384, 386, 390 part
|
44091.61
|
B-34, 35, 44, 45, 40,A-41 from 49, and ,A-30 from 38,A-52 from 67, 51, 68, 29, 50,B-31, 32, 33, 25 and B-06
|
119+(L.I.G+E.W.S 0)
|
C
|
||
|
190
|
21/10
|
Rampur Pavti
|
M/s Gayatri Associate by Shri Pankaj Choudhary
|
4/18/2011
|
Rampur Pavti Bypass Road
|
169, 170, 171, 172, 179, 185, 186, 352, 356 and 358
|
20260.00
|
03, 04, 19, 20, 34, 33, 45, 46, 52, 56, and 36, 41, 42, 43, 44, 47, 98, 99, 100, 101 and 102
|
102
|
C
|
View Layout Plan | |
|
191
|
19/11
|
Rampur Pavti
|
M/s orvit Infra Promotors by Shri Pradeep Kumar
|
6/21/2011
|
Rampur Pavti
|
252part
|
39907.00
|
B-158, B-24 from B-39, B-40 from B-42, B-91, B-92, B-147
|
172
|
C
|
View Layout Plan | View Completion Certificate |
|
192
|
27/11
|
Rampur Pavti
|
M/s Haritez Infra Hights Pvt.Ltd by Shri Bharat Bhushan Gupta
|
11/29/2011
|
Rampur Pavti
|
252part
|
38287.00
|
C-32, 47, 59, D-02 18, 19, 32, 60,D-27 from D-31 and C-31
|
44
|
C
|
View Layout Plan | |
|
193
|
17/12
|
Rampur Pavti
|
M/s K.R.C Infra tech Pvt.Ltd by Shri Ramesh Chand
|
1/28/2013
|
Rampur Pavti
|
252part, 254part, 255, 256,and 259
|
31567.00
|
E-09, 10, 22, 23, 24, 25, 97, 98, 99, 100,and E-26, 36, 43] 123
|
123 + Group Housing+ EWS+LIG
|
C
|
View Layout Plan | |
|
194
|
17/12
|
Rampur Pavti
|
M/s K R C Infratech Pvt. Ltd by Shri Ramesh Chandre
|
1/28/2013
|
Rampur Pavti
|
252part, 254part, 255, 256, and 259
|
31567.00
|
E-09, 10, 22, 23, 24, 25, 97, 98, 99, 100,and E-26, 36, 43, 123
|
123 +Group Housing+ EWS+LIG
|
C
|
||
|
195
|
25/14
|
Rampur Pavti
|
M/s Heritage Infra Heights Pvt Ltd
|
22/11/2014
|
Rampur Pavti, Baghpat Road
|
252 P, & 272 Part
|
4761.56
|
D-30,D-29
|
164
|
C
|
View Layout Plan | View Completion Certificate |
|
196
|
11/02
|
Rishi Nagar Sector-1(Revised)
|
Shri Ashok Kumar Garg
|
6/3/2006
|
Maliyana
|
89 from 99, 101, 104part, 121part, 124part, 87part
|
34208.13
|
|
84
|
C
|
||
|
197
|
06/03
|
Rishi Nagar Sector-2
|
Shri Ashok Kumar Garg
|
11/16/2004
|
Maliyana
|
65, 67, 71, 72, 123part, 133part, 138, 70part, 66part, 125part, 73part,and 136
|
77446.93
|
|
219
|
C
|
View Layout Plan | |
|
198
|
31/05, 32/05,33/05
|
Rishi Nagar Shivam Sunder Colony
|
M/s Kirtika Astate by Partner Shri Ashok Kumar Garg
|
04-01-06 (Revised)
|
Maliyana
|
110part, 111part, 141part, 147part, 148part, 165part, from 186part
|
44644.97
|
|
91
|
c
|
View Layout Plan | |
|
199
|
16/11 (Revised)
|
Rishi Nagar Sundaram
|
M/s Kirtika Astate by Partner Shri Ashok Kumar Garg
|
10/1/2011
|
Maliyana Bagpat Road
|
141part, 147part, 148part, 168part, from181part ,
|
27287.04
|
867, 868, 906, 909, 911, 880, 884, 883, 871, 872, 873, 829, 830, 832
|
113
|
C
|
View Layout Plan | |
|
200
|
34/12
|
Saga Habitat
|
Zenith Township Pvt Ltd
|
07/04/2014
|
Khadoli Bye Pass Marg
|
648,656,657,665,663,677/1,677/2,677/5,677/4,673 & 674
|
18774.00
|
52 to 61, 62 to 72 & C-1 (Commercial)
|
95
|
C
|
View Layout Plan | |
|
201
|
22/14
|
Saga Habitat
|
M/s Zenith Township Pvt Ltd, R/o B-72, Sector-57 Noida
|
17/12/2014
|
Khadoli Bye Pass Marg
|
591
|
8502.5
|
19,20,21,22,23,47,48
|
51
|
C
|
View Layout Plan | |
|
202
|
22/10
|
Saga Hevitej
|
Zanith Township Pvt.Ltd by Shri Ranjeet Singh
|
10/19/2011
|
Khadoli
|
588part, 653part, 654, 680,
|
44168.00
|
185 from 202, 80 from 85,
|
203
|
C
|
View Layout Plan | |
|
203
|
07/08
|
Shakumbhari Dham
|
Shri Abhinav Yadav and Shri Anunay Yadav
|
7/7/2008
|
Maliyana
|
551, 552, 555, 558, 554, 668, 557, 549,569, 567, 574part, 548part, 550 and 556,
|
59105.00
|
82, 67 (Commercial)
|
183
|
C
|
View Layout Plan | |
|
204
|
23/12
|
Shri Kunj
|
M/s Goldee Associate C/o Partner Shri Rakesh Kumar & Others R/o 75-Gupta Colony, Meerut
|
01/03/2014
|
Maliyana Khasra
|
1714M
|
2533.84
|
01,02 & 3 Part
|
19
|
C
|
View Layout Plan | |
|
205
|
42/05
|
Shushant City
|
M/s Ansal Land Mark
|
2/25/2006
|
Wed Vyaspuri
|
Authorities plan
|
342958.35
|
|
898
|
C
|
View Layout Plan | |
|
206
|
06/06
|
Shushant City Sector-4A
|
M/s Ansal Land Mark
|
7/10/2006
|
Vedvyaspuri
|
Authorities plan
|
250276.46
|
|
622(Nursary-2 + 17E W S, and 17 L I G 0+School)
|
C
|
View Layout Plan | |
|
207
|
05/06
|
Shushant City Sector-7
|
M/s Ansal Land Mark
|
7/7/2006
|
Vedvyaspuri
|
Authorities plan
|
1313840.17
|
|
342 (Club+School)
|
C
|
View Layout Plan | |
|
208
|
20190522123759330
|
SHYAM VATIKA
|
Smt Shikha Yadav W/o Sri Manish Yadav
|
09/20/2019
|
Baghpat Road
|
252 Part Rampur Pavti
|
27083 Sqmtr
|
21,22,40,41,62 to 70,72 to 79,87,39,53,54 to 61, 80 to 84
|
108
|
C
|
View Layout Plan | |
|
209
|
30/14
|
Soldier Enclave
|
M/s Dream Maker Developers & Builders Pvt Ltd
|
13/10/2014
|
Khadoli Bhola Road, Meerut
|
685/1part, 685/3 & 686
|
14977
|
23 to 37, 02 to 18, 20 to 22, 81 & 91
|
96
|
C
|
||
|
210
|
07/04
|
Tirupati Enclave
|
Shri Satya Prakesh Agarwal
|
9/15/2004
|
Khadoli
|
46
|
12772.40
|
|
62
|
C
|
||
|
211
|
151/09
|
Vardhmaan Green
|
Ajanta Clonisers Ltd by Shri Utkarsh Jain
|
10/13/2009
|
Maliyana
|
77, 78, 79part and 81part
|
8591.57
|
|
35
|
C
|
View Layout Plan | View Completion Certificate |
|
212
|
02/97
|
Vasant Kunj
|
Gopal Gaushala, Sh. Jai Narayan Jain
|
06/18/1999
|
T.P. Nagar
|
1785, 1786, 1787P, 1793, 1794
|
NA
|
NA
|
Na
|
C
|
||
|
213
|
01/12
|
Vasu Green(Maliyana)
|
M/s Garg Enterprises Pvt.Ltd by Shri Amit Kumar Garg
|
9/10/2012
|
Maliyana
|
76m, 82,84, 86,87 and 88, 85
|
14997.12
|
|
53 + EWS+LIG
|
C
|
View Layout Plan | |
|
214
|
01/12
|
Vasu Green(Maliyana)
|
M/s Garg Enterprises Pvt.Ltd by Shri Amit Kumar Garg
|
9/10/2012
|
Maliyana
|
76m, 82,84, 86,87 and 88, 85
|
14997.12
|
|
53 + EWS+LIG
|
C
|
||
|
215
|
01/12 Amended
|
Vasu Greens Colony Baghpat Road
|
M/s Garg Enterprises Pvt Ltd C/o Director Amit Garg
|
15/06/2016
|
Maliyana Baghpat Road
|
76,76M,82,84,85,86,87,88
|
15597.17 NET 14674.64
|
-
|
45
|
C
|
View Layout Plan | |
|
216
|
41/14
|
Vill-Maliyana , Baghpat Road
|
M/s Jaswant Sugar Mills Ltd
|
25/04/2015
|
Maliyana Baghpat Road
|
1049
|
13910
|
A-26 & B-12
|
62
|
C
|
||
|
217
|
26/08
|
Vishiv Enclave
|
Shri Kamal Kumar Goyal
|
5/27/2009
|
Mohakkampur Delhi Road
|
123, 124, and 135,part
|
15790.00
|
|
67
|
C
|
View Layout Plan | |
|
218
|
79/21
|
VISHWAKARMA INDUSTRIAL ESTATE EXTENSION -II (79/21)
|
MANSAROVER INFRA BUILD PVT LTD VISHKARMA BUILDER
|
09/20/2021
|
BAGHPAT ROAD
|
672-PART, 690-PART, VILL-PANCHALI KHURD
|
6274
|
PLOT NO. A-11
|
4
|
C
|
View Layout Plan | |
|
219
|
08/08
|
Wonder City
|
Shri Gayatri Associate by Shri Pankaj Choudhary
|
5/23/2008
|
Khadoli
|
637
|
14170.00
|
|
69
|
C
|
||
|
220
|
20/08
|
Wonder City
|
Shri Gayatri Associate by Shri Pankaj Choudhary
|
5/23/2008
|
Khadoli
|
653
|
8620.00
|
|
41
|
C
|
View Layout Plan | |
|
221
|
23/10
|
Wonder City Faze-2
|
M/s Gayatri Builders Associate Pvt.Ltd, by Shri Pankaj Choudhary
|
4/18/2011
|
Khadoli
|
607/2, 609/2 and 610
|
6830.00
|
94, 95, 103,and 96, 100, 101 and 102
|
29
|
C
|
View Layout Plan | |
|
222
|
28/10
|
Abdulla Pur
|
M/s Ganga Enterprises
|
4/20/2011
|
Abdulla Pur Mawana Road
|
Abdulla Pur-163 and 167
|
27680.00
|
146
|
|
D
|
View Layout Plan | |
|
223
|
MeDA/24-25/P/10101
|
Affordable Housing Village Rali Chauhan, Meerut
|
M/s AS Developers Mr Amit Singhal, Mr Dara Singh and Shri Arjun Kumar
|
07/28/2025
|
Village Rali Chauhan, Meerut
|
Khasra No 155,157 to 166 and 194
|
Total Area 27632 sq mtr, excluding the road widening land area of 386.84 sqmt remaining area is 27245.16 sq mtr
|
Enternal Development Plot Shopping Kiosk, Conv Shops 100,101,103,104,57,47,48,17,18,21,22,23,75,76,40,41,35,36,54,55,56 Total -23 and External Devlopment Plot-16,19,20,78,79,80,81,99,102 total 9 plots
|
1 to 113 and Shopping Kiosk, Conv Shops
|
D
|
View Layout Plan | |
|
224
|
01/05
|
Alak Nanda Dham
|
Shri Dharam Veer Singh and Shri Vijay Singh
|
6/7/2005
|
Mawana Road
|
Rajpura-119, 120
|
30940.00
|
125
|
|
D
|
View Layout Plan | |
|
225
|
MAP20190408143319813
|
APEX ENCLAVE
|
M/S AADINATH ESTATE DEVELOPERS, (ATUL GUPTA)
|
05/06/2021
|
DATAWLI GASUPUR, GARG ROAD MEERUT
|
1220 PART, 1221 PART, 1230, 1232 & 1233
|
23979.37
|
.
|
101
|
D
|
View Layout Plan | |
|
226
|
MDA/LD/22-23/1061
|
APEX NORTH CITY
|
M/S RENUKA BUILDTECH Pvt.Ltd. Th.DIRECTOR SH. AYUSH GUPTA
|
08/16/2023
|
VILLAGE - KAMALPUR GARH ROAD
|
VILLAGE - KAMALPUR GARH ROAD Meerut 371, 376 PART, 382, 383, 384 PART, 393 PART, 394 PART, 395 & 401, 449, 450
|
100918.40 Sqmtr
|
Nur School, Conv. Shop (Cs-1, Cs-2, Cs-3, Cs-4, Cs-5), Sector Shopping (Ss-1, Ss-2, Ss-3), 5, 11, 119 To 130, 401 to 440, 446 TO 453, 494 To 508 = 11548.16 Sqmtr
|
360 Plots
|
D
|
View Layout Plan | |
|
227
|
MDA/LD/23-24/0628
|
APEX NORTH CITY PHASE-2
|
MS CITI ASIA ASSOCIATES PARTNER SHREE ATUL GUPTA
|
02/28/2024
|
VILLAGE KAMALPUR MEERUT
|
"KHASRA NO 449 M VILLAGE KAMALPUR"
|
17700.00 Sqmtr
|
"I.D.W. SEC. SHOP, Conv. Shop, 510, 511, 512, 513, 514, 515, 516, 517, 518, 519, 520, 521, 522, 589"
|
"RES. 95 COMM. 02"
|
D
|
View Layout Plan | |
|
228
|
03/2000
|
Chankypuri
|
M/s Toweri Clonisiors by Shri Satya Narayan and Gopal Narayan
|
7/21/2000
|
Chankypuri
|
Meerut-635,Saraykaji 246, 247
|
42092.16
|
135
|
|
D
|
||
|
229
|
16/09
|
Chitrkut Colony
|
Smt Shakuntla Devi.
|
1/7/2010
|
Surajkund Road
|
Main Meerut-4323
|
891.00
|
6
|
|
D
|
||
|
230
|
16/06
|
Coral Spring
|
Shri Harsh Garg s% Shri Vinod Kumar Garg
|
7/2/2007
|
Kila Parishit Road
|
Abdullahpur400/1094, 402, 403, 404, 405, 408, 409 part, 411, 412, 374 and 413
|
88580.00
|
259
|
|
D
|
View Layout Plan | |
|
231
|
10/13
|
Coral Spring Extn
|
M/s Rainysains Real Con Pvt Ltd C/o Atul Gupta
|
13/03/2014
|
Abdullapur
|
393,394,395,396,400 (part) 465,466,468,467,453 (part)
|
30205
|
-
|
162
|
D
|
View Completion Certificate | |
|
232
|
27/12 Revised
|
Datavali Gesupur
|
Shri Ajay Grover Getway Global Buildwel Pvt.Ltd
|
1/17/2013
|
Garh Road
|
Datavali Gesupur-619, 621, 622, 1252, 1260, 1262/1, 1262/2
|
43026.00
|
124
|
Ground no.C- 1, C- 2, C- 3,C- 9 from C- 18,D- 1, D- 2, D-3, D- 5, B- 54,C-4 from C- 8,D-4,B-59, B- 60, B-64, B-65
|
D
|
View Layout Plan | |
|
233
|
26/07
|
Divye Lok
|
Smt Vijay Kumari w% Shri Bharampal Singh
|
9/2/2008
|
Mawana Road
|
Rajpura-10 part
|
4969.54
|
25
|
|
D
|
View Layout Plan | |
|
234
|
21/09
|
Dream City
|
M/s GayatriDoulopers by Shri Pankaj Choudhary
|
7/24/2010
|
Mawana Road
|
Rajpura-131, 134, 136part, 137part
|
21674.00
|
111
|
|
D
|
View Layout Plan | |
|
235
|
19/10 Ammended
|
Ganga City Colony
|
Shri Ganga Associate C/o Ram Avtar Agarwal
|
05/05/2016
|
Abdullapur
|
315 and 320
|
12500
|
11
|
73
|
D
|
||
|
236
|
01/07
|
Ganga Dham ext.
|
Shri Yogender Rana and Shri Rakesh Verma
|
12/7/2007
|
Mawana Road
|
Rajpura-115, 117
|
19540.00
|
103
|
|
D
|
View Layout Plan | |
|
237
|
23/09
|
Ganga Dham-3
|
Shri Vikas Jain and Shri Yogender Rana
|
1/28/2010
|
Ganga nagar
|
Rajpura-137part,
|
16861.00
|
85
|
|
D
|
View Layout Plan | |
|
238
|
03/07
|
Ganga Green City
|
M/s Gayatri Doulopers, by Shri Pankaj Choudhary Dist,Bharala Meerut
|
5/21/2007
|
Mawana Road
|
Rajpura-139
|
22330.00
|
115
|
|
D
|
View Layout Plan | |
|
239
|
09/05
|
Ganga Guarden
|
Shri B.L Tyagi and OmPal Singh
|
3/22/2007
|
Mawana Road
|
Rajpura-121part
|
11620.00
|
52
|
|
D
|
View Layout Plan | |
|
240
|
15/03
|
Ganga Nagar fase-2
|
M/s Mani Enterprises by Shri Atul Gupta
|
5/23/2005
|
Abdullapur
|
Abdullapur-248, 251, 254, 282, 283, 284, 287, 288, 293part, 307part, 309part, 310part
|
77195.00
|
242
|
Ground no- B-165 from B-170, B-35 from B-37, B-39 from B-43, B-201 from B-215
|
D
|
||
|
241
|
14/04
|
Ganga Sagar
|
M/s Mani Enterprises by Shri Atul Gupta
|
11/18/2004
|
Mawana Road
|
Abdullapur-178, 180, 182, 186, 241, 294, 296, 298, 173part, 177part, 299part, 302part, 304part, 310part, 305part,
|
128625.07
|
511
|
Ground no.F-209, F 10,F 223,F 2 24,F 50, F 36,F 101,F 117/1,F 132,F 144,F 145,F 146,F 147,F 261,F 262,F 263,F 264,F 265,F 271,F 270,F 66,F 67,F 68,F 102,F 143,
|
D
|
View Layout Plan | |
|
242
|
20/09
|
Ganga Vatika
|
M/s Rohini Enterprises by Shri Vijender Kumar
|
2/2/2010
|
Abdullapur
|
Abdullapur-174
|
19410.00
|
84
|
|
D
|
View Layout Plan | |
|
243
|
16/13
|
Ganga Vatika Colony Extn
|
M/s Ganga Enterprises C/o Ramesh Chand
|
24/01/2014
|
Abdullapur
|
168 part, 169, 170, 171,173 part
|
11548.66
|
5
|
58
|
D
|
||
|
244
|
29/11
|
Ganga Vatika Ex.
|
M/s Ganga Enterprises by Shri Bharat Bhushan Gupta
|
3/23/2012
|
Mawana Road
|
Abdullapur-164part 165
|
10980.00
|
50
|
Ground no.C- 75, C-76, C-100, C-51, C-67, C-84
|
D
|
View Layout Plan | |
|
245
|
01/15
|
Ganga Vatika Extn
|
M/s Apex Inter National & M/s Ganga Enterprises C/o Ramesh Cnadra
|
27/04/2016
|
Abdullapur
|
173
|
2492.28
|
-
|
12
|
D
|
||
|
246
|
02/06 Revised
|
Gangadham-1
|
Shri Yogender Rana and Shri Rakesh Verma
|
8/22/2009
|
Mawana Road
|
Rajpura-124, 126, 127, 128, 140part, and 141part
|
67575.00
|
243
|
|
D
|
||
|
247
|
10/04
|
Gangapuram
|
Shri Ishver Pal Shri Kanwar Pal,Shri Dharam Pal
|
1/18/2005
|
Mawana Road
|
Kaseru Baksar-204, 205, 206part 207part 208part 210part 218part, 222, 223part, 224, 225, 226part 227part,Amhera Aadipur-511
|
41050.00
|
155
|
|
D
|
View Layout Plan | |
|
248
|
09/16
|
Gateway Global Build Bell Pvt Ltd
|
Shri Devendra Dhingra S/o Raghunath Sahai Dhingra, A-64, Guru Nanak Pura, Modi Nagar, Ghaziabad
|
11/07/2016
|
Vill-Datavli Gesupur (East of Kali Nadi) Meerut
|
1260,1262 / 1 and part of 1255.
|
6085.31
|
Plot No-F-12,16,17,18,19
|
31
|
D
|
||
|
249
|
18/06
|
Global City
|
M/s Godwin Cons.
|
1/2/2007
|
Mawana Road
|
Meerut-507, 508/1110, 509, 510, 511, 512, 514
|
28860.00
|
138
|
Ground no.1 from 3, 13 from 16, 69 from 71, 73 from 82
|
D
|
View Layout Plan | |
|
250
|
01/02
|
Greater Ganga
|
M/s Godwin Cons.by Shri Jitender Badhva
|
3/26/2002
|
Mawana Road
|
Authority plans
|
44177.79
|
181
|
|
D
|
View Layout Plan | |
|
251
|
MeDA/24-25/1099-4
|
HARI VATIKA
|
M/S HIMANI ASSOCIATES PARTNER MR NARENDRA KUMAR SHARMA
|
12/28/2024
|
VILL-RAJPURA, MEERUT
|
136 AND 137
|
5902.39 SQ MTR
|
12A, 18,18,27 AND 28
|
30
|
D
|
View Layout Plan | |
|
252
|
24/09
|
Honey Golf Green
|
Pawansut Doulopers by Partner Shri Sanjay Kumar
|
1/28/2010
|
L.L.R Medical College behind Garh Road Meerut
|
Reshna-190/2, 191/2, 192/2, 216/2, 217/2, 184, 221/1, 188, 187/1, 185, 222, 183/1, 186/1, 223 and 219
|
37940.00
|
79
|
|
D
|
View Layout Plan | |
|
253
|
02/15
|
Karoli Road
|
Power Alimullah S/o Apir Allah
|
14/01/2016
|
Begumbagh
|
9,9/1,9/2,9/3,9/4,9/5
|
5156
|
-
|
26
|
D
|
||
|
254
|
11/2000
|
Kirti Palace
|
Shri Anand Prakash Agarwal
|
10/3/2005
|
Near Jagrati Vihar Garh Road
|
Diggi-6363part, 6364, 6366, 6367, 6363, 6369 ,and 478
|
35371.00
|
130
|
B-6
|
D
|
||
|
255
|
04/02
|
Krishan Guarden
|
M/s Krishan Cons.
|
5/22/2002
|
Ganga nagar Mawana Road
|
Housing Authority plans in Ganganagar
|
20995.02
|
70
|
|
D
|
View Layout Plan | |
|
256
|
14/01
|
Krishan Lok
|
M/s Mani Enterprises by Shri Atul Gupta
|
1/15/2003
|
Mawana Road
|
Rajpura-61part, 63part, 79part 78 and 79
|
39197.47
|
154
|
|
D
|
View Layout Plan | |
|
257
|
01/96
|
Mayur Vihar
|
Shri Anil Yadav
|
5/12/1997
|
Shastri Nagar Road
|
Meerut 6360 and 6100
|
46680.00
|
158
|
|
D
|
||
|
258
|
04/09
|
Mayur Vihar Ex.
|
Shri Anil Kumar Yadav
|
11/3/2010
|
Shastri Nagar Road
|
Meerut-6362, 6363part, 6364part,
|
7850.00
|
44
|
Ground no. 20, 21, 22, 23, 24, 25
|
D
|
||
|
259
|
04/99
|
Moti Prayag
|
Delta Devolouders by Shri Anil Kumar
|
6/21/2000
|
P.O Medical College Garh Road
|
Reshna-198, 99, 200, 201, 202, 203, 204, 205, 206, 207, 208, 209, 210 and 211
|
54770.00
|
188
|
|
D
|
View Layout Plan | |
|
260
|
15/2000
|
panchwati
|
Shri Shiv Kumar
|
1/1/2001
|
Mawana Road
|
Kaseru Baksar-186 from 189 ,and 196 from 2002, 2006Partial, 2007 Partial
|
41750.00
|
137
|
Ground.-48, 58
|
D
|
View Layout Plan | |
|
261
|
20/11
|
Raj Golf Green
|
Shri Rajkumar Bhardwaj and Smt Aasha Rani Bhardwaj
|
10/17/2011
|
Mawana Road
|
Abdullapur-149, 151, 153
|
35640.00
|
101
|
Ground no.-47, 48, 49, 50, 51, 52, 53, 7, 8, 26, 27, 28, 29, 30, 31
|
D
|
View Layout Plan | |
|
262
|
MDA/ANI/2021/0001041 (Revised)
|
SAGAR VATIKA
|
M/S GANGA ENTERPRISES (AYUSH GUPTA)
|
09/11/2022
|
VILL-ABDULLAPUR
|
192,195,196,197, PART,198 PART-199, 200 & 201 PART
|
39837.02
|
ENTERNAL PLOT NO-136,159,160,161,162,163,164,165,166,167,168,169,170 ,171,230
|
216
|
D
|
View Layout Plan | |
|
263
|
MDA/ANI/2024/0003001/10
|
SAGAR VATIKA PHASE - 3
|
MS SHREE ADINATH ESTATE DEVELOPERS PARTNER SHREE ATUL GUPTA
|
04/09/2024
|
VILLAGE ABDULLAPUR
|
"KHASRA NO- 212 PART"
|
14461.00 Sqmtr
|
I.D.W. PlOT NO-567, 568, 595, 596
|
86
|
D
|
View Layout Plan | |
|
264
|
37/23 Compounding
|
SAGAR VATIKA PHASE-2
|
M/S SHAGUN ENTERPRISES THROUGH PARTNER KAPIL GARG AND ATUL GUPTA
|
05/20/2023
|
VILLAGE ABDULLAPUR MEERUT
|
212 PART, 214, 215, 216, 219, 237
|
39794.00 SQ.M.
|
277, 280, 281, 282, 283, 284, 285, 286, 293, 294, 295, 296, 297, 298, 299 Total = 15
|
190
|
D
|
View Layout Plan | |
|
265
|
05/01
|
Sai Nagar
|
Shri Mithan SinghAnd Babu Singh and Tikaram etc.by Mukhtareaam Shri Ghander Singh
|
3/24/2001
|
Chankypuri Road
|
Saraikaji-260, 261, 262, 263
|
19980.00
|
58
|
Ground no.-54, 56, 57
|
D
|
View Layout Plan | |
|
266
|
16/04
|
Sanskar Kunj
|
Shri Jagdeesh Singh
|
8/21/2004
|
Ganga nagar Pocket-H
|
Housing Authority plans Ganganagar H-Pocket
|
4072.00
|
18
|
|
D
|
View Layout Plan | |
|
267
|
07/14
|
Saraswati sagar Colony
|
M/s Saraswati Sagar C/o Partner Varun Agarwal
|
06/06/2014
|
Abdullapur
|
242,243
|
13845
|
28
|
72
|
D
|
View Completion Certificate | |
|
268
|
01/2001
|
Saray Kaji
|
Smt Shakuntla Jain etc.
|
3/8/2001
|
Saray Kaji
|
Saray Kaji-19part
|
4035.75
|
19
|
Ground no.-11, 12, 13, 14, 15
|
D
|
||
|
269
|
13/01
|
Som Dutt Vihar
|
Shri Ashok Kumar Garg etc.
|
6/2/2003
|
Garh Road
|
Saraikaji-96part, 97, 98, 99, 100, 102part, 225, 228part
|
36860.00
|
128
|
|
D
|
||
|
270
|
21/11
|
Vardhmaan Kaneri Park
|
M/s Ajanta Clonizers Ltd.by Shri Utkarsh Jain
|
1/20/2012
|
Mawana Road
|
Kaseru Baksar-262, 263
|
16335.30
|
90
|
Ground no.-21, 72, 79
|
D
|
View Layout Plan | |
|
271
|
35/14
|
Vardman Golden Park
|
M/s Riddi Promotors Pvt C/o Shri Ramesh Jain
|
20/01/2015
|
Kaseru Buxer
|
482, 483
|
8898
|
2
|
12
|
D
|
||
|
272
|
20/01
|
Vishnu Lok
|
Smt Ratna Devi w% Late Shri Shyamlal
|
6/25/2004
|
Mawana Road
|
Salarpur Jalalpur-429part, 431part, 430part, 423part, 424part, 418part
|
7933.50
|
24
|
|
D
|
View Layout Plan | |
|
273
|
15/06
|
Yashoda Kunj
|
M/s Endsvally Promotors
|
3/30/2007
|
Mawana Road
|
Kaseru Baksar-226part, 227part, 236part, 237part, 238part,239part, 240part,
|
18611.00
|
85
|
|
D
|
View Layout Plan | View Completion Certificate |
|
274
|
32/11
|
Yashoda Kunj
|
M/s Raini Sans Estate by Shri Sanjay Gupta
|
8/28/2012
|
Mawana Road
|
Kaseru Baksar-203 and 210
|
7486.00
|
33
|
Ground no.528
|
D
|
View Layout Plan | View Completion Certificate |
|
275
|
13/04
|
Yashoda Kunj
|
M/s Indus Valley C/o Mr Ajay Gupta
|
12/07/2005
|
Kaseru Buxer
|
204, 205, 206part, 207part, 208part, 210part, 218part, 222part, 223part, 224, 225, 226part, 227part
|
41560
|
110 to 120, 133 to 155
|
151
|
D
|
View Completion Certificate | |
|
276
|
25/11
|
GAGOL ROAD KASHI
|
KRISHNA INTER PARNOYERS KAMAL DUTT SHARMA
|
10/26/2012
|
GAGOL ROAD
|
1163, 1164, 1168, 1250
|
22,653.39
|
10, 12, 14, 15
|
NO
|
INDUSTRIAL
|
View Layout Plan | |
|
277
|
41/11
|
MANSAROWAR INDUSTRIAL ESTATE
|
MANSOROVER INFA BUILD PVT LTD PRADEEP GUPTA
|
04/03/2012
|
MANSAROWAR
|
623P, 624P, 667P, 668, 670P
|
16980.84
|
NO
|
NO
|
INDUSTRIAL
|
View Layout Plan | |
|
278
|
14/11
|
MOHKAMPUR DELHI ROAD
|
RAILPRO INFRA DEVELOPERS
|
03/12/2014
|
MOHKAMPUR
|
414, 420-426, 430, 432-435, 446-448, 450, 451, 452/1, 452/2, 453
|
74450.00
|
1, 16, 73(EXT), 2, 17, 44, 49, 80, 81(INT)
|
NO
|
INDUSTRIAL
|
||
|
279
|
01/09
|
PAANCHLI (INDUSTRIAL)
|
WISH KARMA INTRUSTIAL STATE KAMAL KISHOR
|
04/23/2009
|
PAANCHLI
|
465P, 670P, 671P, 672P, 681P, 682P
|
24717.00
|
NO
|
NO
|
INDUSTRIAL
|
View Layout Plan | |
|
280
|
02/10
|
PAANCHLI (INDUSTRIAL)
|
WISH KARMA BUILDERS PRADEEP GUPTA
|
07/03/2010
|
PAANCHLI
|
670P, 671P, 672P
|
20411.00
|
NO
|
NO
|
INDUSTRIAL
|
View Layout Plan | |
|
281
|
27/10
|
PAANCHLI (INDUSTRIAL)
|
WISH KARMA BUILDERS PVT LTD PRADEEP GUPTA
|
06/14/2011
|
PAANCHLI
|
623P, 624P, 667P, 668, 670P, 671P, 672P
|
34136.00
|
NO
|
NO
|
INDUSTRIAL
|
View Layout Plan | |
|
282
|
25/12
|
PAANCHLI (INDUSTRIAL)
|
MANSOROVER INFA BUILD PVT WISH KARMA BUILDER,PRADEEP GUPTA
|
01/29/2013
|
MANSAROWAR
|
623P, 624P, 672P, 626P, 690P, 667P, 668P
|
37143.00
|
1111, 52, 153
|
NO
|
INDUSTRIAL
|
View Layout Plan | |
|
283
|
23/13
|
PAANCHLI (INDUSTRIAL)
|
MANSOROVER INFA BUILD PVT WISH KARMA BUILDER,PRADEEP GUPTA
|
02/07/2014
|
KN,623 PART
|
623P, 624P, 626P, 668P, 625, 625/1425
|
17,713.29
|
NO
|
NO
|
INDUSTRIAL
|
View Layout Plan | |
|
284
|
12/13
|
RITHANI (LONG TALLY ENTERPRISES)
|
SANJEEV GUPTA
|
06/17/2014
|
RITHANI
|
242, 277-280, 1090-1097
|
45010.00
|
53, 54(EXT), 37, 45(INT)
|
NO
|
INDUSTRIAL
|
View Layout Plan |
